Prodej chaty, Dětřichov nad Bystřicí, 56 m2

Dětřichov nad Bystřicí

Rezervováno
1 370 000 Kč /za nemovitost HYPOTÉKA od 6 123 Kč /za měsíc
Exkluzivní partneři v Dětřichově nad Bystřicí

Informace k domu

Hledáte stavbu s charakterem a možností dotvořit si ji podle vlastních představ? Tak máme skvělou příležitost pro kreativní rekonstrukci.

Nabízíme útulnou nemovitost v klidné části obce Dětřichov nad Bystřicí v oblasti Nízkého Jeseníku. Ideální místo pro odpočinek mimo ruch města.

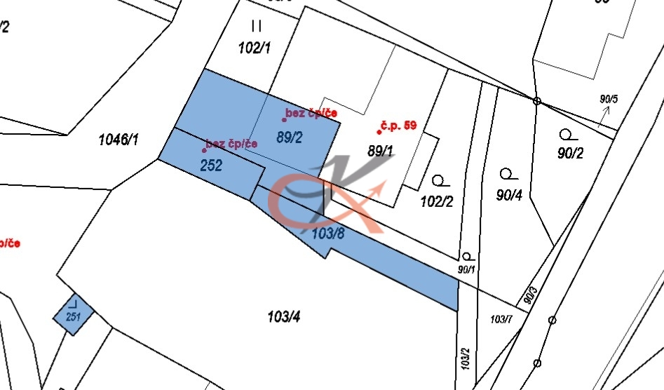
Dispozice : Obytné podkroví 1+kk ve 2.NP s kompletním sociálním zařízením a plně vybavenou kuchyňskou linkou, vytápění zajištěno krbem s vložkou, podlahová plocha 56m2 , v 1.NP stavby je možnost dokončení další místnosti o celkové podlahové ploše 66 m2 dle Vašich představ. Na pozemku se dále nachází venkovní krb a dostatečný prostor pro posezení.

K nemovitosti náleží i samostatně stojící zděná garáž s vlastním pozemkem o zastavěné ploše 25m2 -praktické zázemí pro parkování vozidla nebo uskladnění věcí. Na samostatné parcele je postavena ocelová hala o zastavěné ploše 93m2, kterou je možno využít na uskladnění věcí a materiálu nebo zbourat,pro vytvoření většího prostoru pozemku.

Lokalita: Obec s výbornou dopravní dostupností do Bruntálu,Opavy a Šternberka. V okolí lesy,louky,čistý vzduch a naprostý klid.

Cena : 1.370 000 Kč

Neváhejte nás kontaktovat pro více informací.

Parametry domu

Stav
Rezervováno
Cena
1 370 000 Kč /za nemovitost Spočítat hypotéku
Aktualizováno
17. 1. 2026
Adresa
Dětřichov nad Bystřicí
ID
7125
Stavba
Smíšená
Stav objektu
Dobrý
Vybaveno
Ne
Typ objektu
Patrový
Druh objektu
Řadový
Lokalita objektu
Klidná část obce
Užitná plocha
56 m2
Plocha pozemku
505 m2
Třída energetické náročnosti
G - Mimořádně nehospodárná
Elektřina
230V
Odpad
Trativod
Komunikace
Zpevněná
Doprava
Vlak, Silnice, Autobus
Voda
Vodovod
Garáž
Převod do OV
Parkování

Kontaktovat makléře

Realitní kancelář

Logo Reality Kocourek

Reality Kocourek

Palackého 2205, Rožnov pod Radhoštěm

Chystáte se prodat nemovitost?
Pomůžeme Vám!

Máte zájem o tento dům?

Tímto, v souladu s nařízením Evropského parlamentu a Rady (EU) 2016/679, v platném znění, prohlašuji, že mi je alespoň 16 let a uděluji tak svůj souhlas se zpracováním zadaných údajů (jméno, telefon, e-mail, ip adresa) společnosti B3 Technology, s.r.o., IČ: 07330600, se sídlem Novostavby 126/23, 435 11 Lom (správce dat), za účelem předání dotazu z tohoto formuláře Vámi vybranému inzerentovi a zpětného kontaktování mé osoby. Osobní údaje bude správce zpracovávat manuálně i automaticky přímo prostřednictvím svých zaměstnanců. Informace předané tímto formulářem budou uloženy v databázi správce maximálně po dobu 10 let. Odvolání souhlasu s uložením a zpracováním poskytnutých dat lze e-mailem na info@vitio.cz. V případě podezření na neoprávněné použití Vámi poskytnutých údajů máte právo předat podnět k šetření Úřadu pro ochranu osobních údajů. Více informací
Chystáte se prodat nemovitost?
Pomůžeme Vám!

Inzerát si prohlédlo 24 lidí

Prodejce

Ing. Karel Kulatý

Ing. Karel Kulatý

Hlídací pes

Chcete dostávat emailem podobné nabídky prodeje chat v Dětřichově nad Bystřicí?

Podobné nemovitosti