Prodej lesa, Lhota, 1390 m2

Lhota

39 949 Kč /za nemovitost HYPOTÉKA od 179 Kč /za měsíc
Exkluzivní partneři v Lhotě

Informace k pozemku

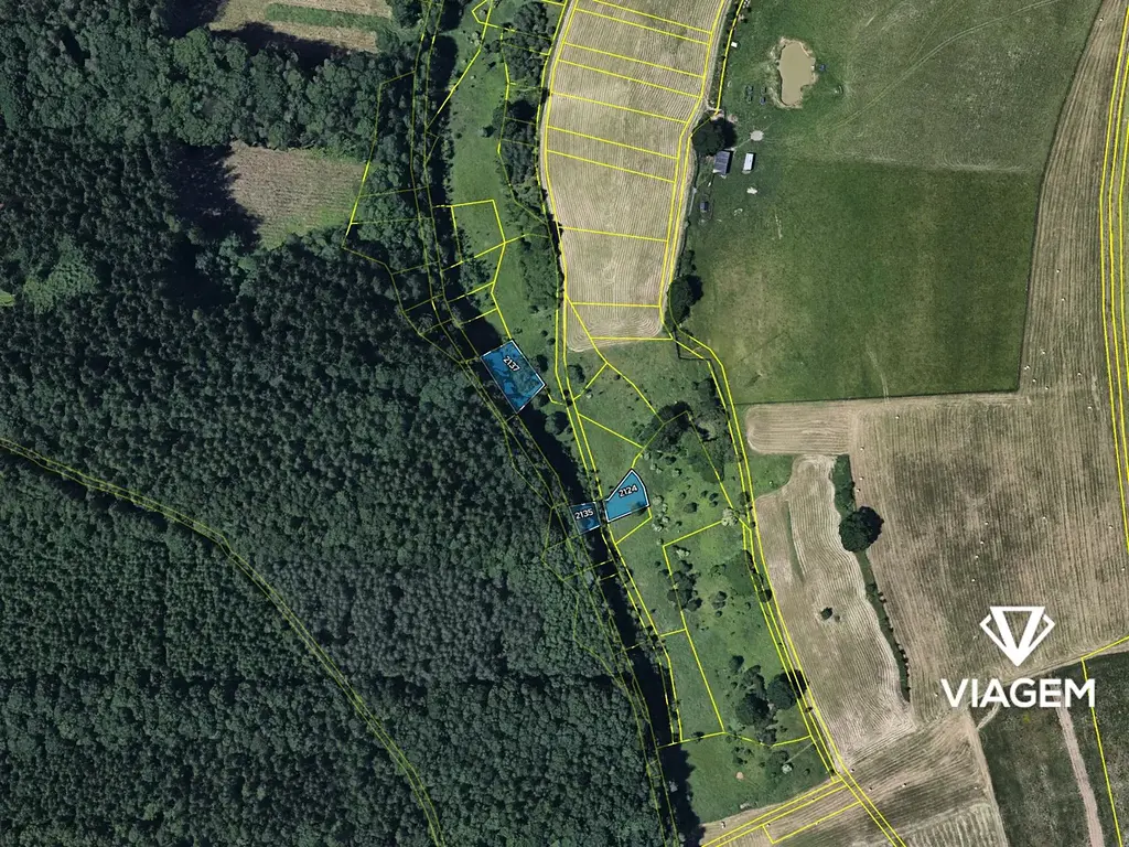
Nabízíme lesní pozemky v katastrálním území Lhota u Zlína, okres Zlín, o celkové výměře 1 390 m².

  • parc. č. 2124, k. ú. Lhota u Zlína, 416 m²
  • parc. č. 2135, k. ú. Lhota u Zlína, 216 m²
  • parc. č. 2137, k. ú. Lhota u Zlína, 758 m²

Tato drobná výměra lesní půdy se hodí zejména pro dlouhodobé držení nebo pro přípravu palivového dřeva pro vlastní potřebu. Hospodaření na takto malých plochách probíhá v režimu platných lesních hospodářských osnov. Pokud vás tato nabídka zaujala, rádi vám poskytneme výpis z katastru nemovitostí a další související informace.



Tento inzerát není závaznou nabídkou inzerenta, podmínky prodeje se mohou v jeho průběhu měnit.

Parametry pozemku

Cena
39 949 Kč /za nemovitost Spočítat hypotéku
Aktualizováno
30. 4. 2026
Adresa
Lhota
ID
20575
Plocha pozemku
1390 m2

Kontaktovat makléře

Máte zájem o tento pozemek?

Tímto, v souladu s nařízením Evropského parlamentu a Rady (EU) 2016/679, v platném znění, prohlašuji, že mi je alespoň 16 let a uděluji tak svůj souhlas se zpracováním zadaných údajů (jméno, telefon, e-mail, ip adresa) společnosti B3 Technology, s.r.o., IČ: 07330600, se sídlem Novostavby 126/23, 435 11 Lom (správce dat), za účelem předání dotazu z tohoto formuláře Vámi vybranému inzerentovi a zpětného kontaktování mé osoby. Osobní údaje bude správce zpracovávat manuálně i automaticky přímo prostřednictvím svých zaměstnanců. Informace předané tímto formulářem budou uloženy v databázi správce maximálně po dobu 10 let. Odvolání souhlasu s uložením a zpracováním poskytnutých dat lze e-mailem na info@vitio.cz. V případě podezření na neoprávněné použití Vámi poskytnutých údajů máte právo předat podnět k šetření Úřadu pro ochranu osobních údajů. Více informací
Chystáte se prodat nemovitost?
Pomůžeme Vám!

Inzerát si prohlédlo 0 lidí

Prodejce

Simona Tichá

Simona Tichá

Hlídací pes

Chcete dostávat emailem podobné nabídky prodeje lesů v Lhotě (okr. Zlín)?

Podobné nemovitosti