Pronájem skladu, Jihlava, Brněnská, 789 m2

Brněnská, Jihlava

115 222 Kč /za měsíc Získejte výhodnou HYPOTÉKU
Exkluzivní partneři v Jihlavě

Informace k nemovitosti

Od června bude na východním okraji Jihlavy k pronájmu zajímavý objekt. Jedná se o halu, která víc jak 10 let slouží jako prodejní a skladovací zázemí velké renomované firmy s autodíly, což je z zřejmé z přiložených fotografií. Bylo by samozřejmě logické v podobném podnikání pokračovat, ale nic nebrání úplně jinému využití.
Jsou zde 3 kanceláře, kuchyňka a sociální zázemí (WC a sprcha). Dále je zde i vstupní prostor pro zákazníky. Půdorys této části haly je ve fotografiích.
Kanceláře jsou vytápěny plynovým kotlem, v hale jsou plynová teplovzdušná topidla.

Celková plocha je 789 m, využitelná výška u stěny jsou 4 m, uprostřed 6 m - viz obrázek řezu.
Kromě rampy jsou z boku i velká vrata pro skládání a nakládání větších objemů.
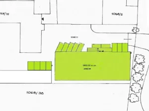
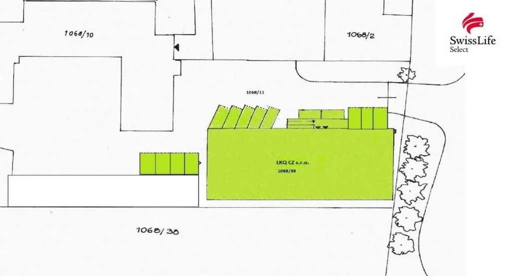
V této souvislosti je důležitá dopravní dostupnost a parkování. Oba tyto parametry naše hala svojí polohou bohatě splňuje. Na jedné z přiložených fotek je zeleně vyznačená plocha haly i parkovací plochy, které jsou předmětem pronájmu.

Pokud bude potřeba, lze halu upravit a přizpůsobit potřebám nového nájemníka.

Parametry nemovitosti

Cena
115 222 Kč /za měsíc
Aktualizováno
27. 4. 2026
Adresa
Brněnská, Jihlava
ID
25379
Stavba
Skeletová
Stav objektu
Velmi dobrý
Typ objektu
Přízemní
Užitná plocha
789 m2
Elektřina
230V, 400V
Plyn
Plynovod
Odpad
Veřejná kanalizace
Topení
Ústřední plynové
Komunikace
Asfaltová
Doprava
Vlak, Dálnice, Silnice, MHD, Autobus
Voda
Vodovod
Bezbarierový přístup

Kontaktovat makléře

Máte zájem o tuto nemovistost?

Tímto, v souladu s nařízením Evropského parlamentu a Rady (EU) 2016/679, v platném znění, prohlašuji, že mi je alespoň 16 let a uděluji tak svůj souhlas se zpracováním zadaných údajů (jméno, telefon, e-mail, ip adresa) společnosti B3 Technology, s.r.o., IČ: 07330600, se sídlem Novostavby 126/23, 435 11 Lom (správce dat), za účelem předání dotazu z tohoto formuláře Vámi vybranému inzerentovi a zpětného kontaktování mé osoby. Osobní údaje bude správce zpracovávat manuálně i automaticky přímo prostřednictvím svých zaměstnanců. Informace předané tímto formulářem budou uloženy v databázi správce maximálně po dobu 10 let. Odvolání souhlasu s uložením a zpracováním poskytnutých dat lze e-mailem na info@vitio.cz. V případě podezření na neoprávněné použití Vámi poskytnutých údajů máte právo předat podnět k šetření Úřadu pro ochranu osobních údajů. Více informací
Chystáte se prodat nemovitost?
Pomůžeme Vám!

Inzerát si prohlédlo 0 lidí

Prodejce

Ing. Rostislav Mašek

Ing. Rostislav Mašek

Hlídací pes

Chcete dostávat emailem podobné nabídky pronájmu skladů v Jihlavě?

Podobné nemovitosti