Prodej podílu lesa, Koloveč, 427 m2 (ID: 2632559)

Koloveč

2 566 Kč /za nemovitost Získejte výhodnou HYPOTÉKU
Exkluzivní partneři v Kolovči

Stěhovací služby

Informace k pozemku

Nabízíme jedinečnou příležitost vlastnit atraktivní lesní pozemky, které jsou ideální pro investice nebo rekreační využití. Tyto pozemky mají své kouzlo a velký potenciál. Můžete je využít k různým účelům, od relaxace a vycházek po vytvoření rekreačního prostoru nebo jiné investiční projekty. Cena je přiměřená a velmi atraktivní pro tuto lokalitu.

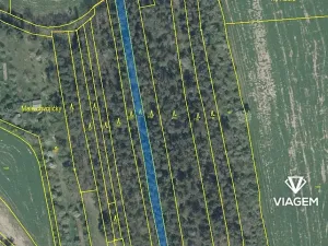
Exkluzivně Vám nabízíme pozemek v katastrálním území Koloveč v okrese Domažlice vhodný pro přímé hospodaření nebo jako stabilní investice.

Jedná se o prodej 7/24 vlastnického podílu.

Tento pozemek je zapsán na LV 250 s parcelním číslem 1834 o celkové výměře 1466 m².
Můžete je využít k různým účelům, od rekreačních aktivit a výstavby rekreačních objektů pro zemědělství, včelařství nebo ekologické projekty.

Investice do podílu lesa je výhodná z několika důvodů:
Celková hodnota za nižší cenu: Koupí podílu lesa získáte přístup k celé hodnotě lesa za zlomek ceny plného vlastnictví.
Autonomie a flexibilita: Máte oprávnění využívat lesní zdroje podle podmínek investice.
Diversifikace a stabilita: Lesní investice poskytuje stabilitu

Prohlídka? Rádi vás nasměrujeme, ale prohlídky si organizujte sami.

Investice do lesů je zejména nyní, v době nejistoty, vyhledávanou cestou, jak ochránit peníze před inflací. Každý lesní pozemek je unikátní a jeho cena dlouhodobě roste. Stabilní růst ceny umožňuje zhodnotit vložené finanční prostředky a zároveň zabránit jejich znehodnocení.

Zastupujeme majitele pozemků. Neplatíte nám žádnou provizi. Zajišťujeme rychlý a transparentní prodej - připravíme kupní smlouvy a v případě zájmu Vám zajistíme ostatní právní služby.

V případě zájmu nebo dotazů mne neváhejte kontaktovat na níže uvedeném telefonním čísle nebo e-mailu. Připravte si prosím číslo ID inzerátu.

Tento inzerát není závaznou nabídkou inzerenta, podmínky prodeje se mohou v jeho průběhu měnit.

Parametry pozemku

Cena
2 566 Kč /za nemovitost
Aktualizováno
8. 4. 2026
Adresa
Koloveč
ID
9191
Plocha pozemku
427 m2

Kontaktovat makléře

Máte zájem o tento pozemek?

Tímto, v souladu s nařízením Evropského parlamentu a Rady (EU) 2016/679, v platném znění, prohlašuji, že mi je alespoň 16 let a uděluji tak svůj souhlas se zpracováním zadaných údajů (jméno, telefon, e-mail, ip adresa) společnosti B3 Technology, s.r.o., IČ: 07330600, se sídlem Novostavby 126/23, 435 11 Lom (správce dat), za účelem předání dotazu z tohoto formuláře Vámi vybranému inzerentovi a zpětného kontaktování mé osoby. Osobní údaje bude správce zpracovávat manuálně i automaticky přímo prostřednictvím svých zaměstnanců. Informace předané tímto formulářem budou uloženy v databázi správce maximálně po dobu 10 let. Odvolání souhlasu s uložením a zpracováním poskytnutých dat lze e-mailem na info@vitio.cz. V případě podezření na neoprávněné použití Vámi poskytnutých údajů máte právo předat podnět k šetření Úřadu pro ochranu osobních údajů. Více informací
Chystáte se prodat nemovitost?
Pomůžeme Vám!

Inzerát si prohlédlo 1 lidí

Prodejce

Jiří Muchka

Jiří Muchka

Hlídací pes

Chcete dostávat emailem podobné nabídky prodeje podílu lesů v Kolovči?

Podobné nemovitosti