Molík reality

Prodej zahrady, Mariánské Radčice, 627 m2 (ID: 2597847)

Mariánské Radčice

750 000 Kč /za nemovitost HYPOTÉKA od 3 352 Kč /za měsíc

(+1% provize)

Exkluzivní partneři v Mariánských Radčicích

Okna a dveře

Rekonstrukce

Informace k pozemku

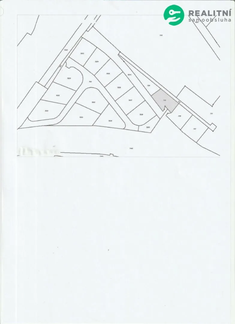
prodej parcely - ostatní/jiná plocha v k.ú. Mariánské Radčice - krásné místo na okraji obce, výhled na Středohoří, příjezd až na parcelu po zpevněné /makadam/ cestě ze silnice II/286.
na příjezd. komunikaci - p.č. 77/1 bude zapsáno právo chůze a jízdy na stát. silnici.
El. energie - možno ze zastavitelné plochy řešené ČEZ Distribuce- 10bm, voda - detto -SČVK, na sousedních parcelách je odsouhlasena stavba ČEZu - HDS, cena 540.000.-Kč.

Parametry pozemku

Cena
750 000 Kč /za nemovitost Spočítat hypotéku
Poznámka k ceně
+1% provize
Aktualizováno
3. 3. 2026
Adresa
Mariánské Radčice
ID
RS307588
Plocha pozemku
627 m2
Bezbarierový přístup

Kontaktovat makléře

Máte zájem o tento pozemek?

Tímto, v souladu s nařízením Evropského parlamentu a Rady (EU) 2016/679, v platném znění, prohlašuji, že mi je alespoň 16 let a uděluji tak svůj souhlas se zpracováním zadaných údajů (jméno, telefon, e-mail, ip adresa) společnosti B3 Technology, s.r.o., IČ: 07330600, se sídlem Novostavby 126/23, 435 11 Lom (správce dat), za účelem předání dotazu z tohoto formuláře Vámi vybranému inzerentovi a zpětného kontaktování mé osoby. Osobní údaje bude správce zpracovávat manuálně i automaticky přímo prostřednictvím svých zaměstnanců. Informace předané tímto formulářem budou uloženy v databázi správce maximálně po dobu 10 let. Odvolání souhlasu s uložením a zpracováním poskytnutých dat lze e-mailem na info@vitio.cz. V případě podezření na neoprávněné použití Vámi poskytnutých údajů máte právo předat podnět k šetření Úřadu pro ochranu osobních údajů. Více informací
Chystáte se prodat nemovitost?
Pomůžeme Vám!

Inzerát si prohlédlo 5 lidí

Prodejce

Miroslava Kárníková

Miroslava Kárníková

Hlídací pes

Chcete dostávat emailem podobné nabídky prodeje zahrad v Mariánských Radčicích?

Podobné nemovitosti