Prodej pole, Suchov, 281 m2 (ID: 2491321)

Suchov

7 395 Kč /za nemovitost HYPOTÉKA od 33 Kč /za měsíc
Exkluzivní partneři v Suchově

Informace k pozemku

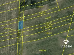
Nabízíme k prodeji soubor pěti pozemků nacházejících se v katastrálním území Suchov, okres Hodonín. Všechny pozemky jsou vedeny jako ostatní plocha, což umožňuje různé způsoby využití, například pro technické či rekreační účely.

Detail pozemků:
Parcela č. 1146/106 – výměra 47 m², přístup není
Souřadnice: 48.912606475, 17.557084138

Parcela č. 1883/5 – výměra 89 m², přístup reálný – není právní
Parcela č. 1883/24 – výměra 83 m², přístup reálný – není právní
Parcela č. 1883/26 – výměra 3 m², přístup reálný – není právní
Parcela č. 1891/38 – výměra 59 m², přístup reálný – není právní
Souřadnice: 48.907756167, 17.553632822

Další informace:
List vlastnictví: 706
Podíl: 100 %
Druh pozemku: Ostatní plocha
Přístup: U většiny pozemků je reálný, ale není právně zajištěn
Pozemky se nacházejí v malebné oblasti Bílých Karpat, což může být zajímavé pro investiční záměry, rozšíření sousedních nemovitostí či rekreační využití.

V případě zájmu nebo dotazů mě kontaktujte na uvedeném telefonním čísle nebo e-mailu. Připravte si prosím ID inzerátu.

Tento inzerát není závaznou nabídkou inzerenta, podmínky prodeje se mohou v jeho průběhu měnit.

Parametry pozemku

Cena
7 395 Kč /za nemovitost Spočítat hypotéku
Aktualizováno
26. 10. 2025
Adresa
Suchov
ID
12337
Plocha pozemku
281 m2

Kontaktovat makléře

Máte zájem o tento pozemek?

Tímto, v souladu s nařízením Evropského parlamentu a Rady (EU) 2016/679, v platném znění, prohlašuji, že mi je alespoň 16 let a uděluji tak svůj souhlas se zpracováním zadaných údajů (jméno, telefon, e-mail, ip adresa) společnosti B3 Technology, s.r.o., IČ: 07330600, se sídlem Novostavby 126/23, 435 11 Lom (správce dat), za účelem předání dotazu z tohoto formuláře Vámi vybranému inzerentovi a zpětného kontaktování mé osoby. Osobní údaje bude správce zpracovávat manuálně i automaticky přímo prostřednictvím svých zaměstnanců. Informace předané tímto formulářem budou uloženy v databázi správce maximálně po dobu 10 let. Odvolání souhlasu s uložením a zpracováním poskytnutých dat lze e-mailem na info@vitio.cz. V případě podezření na neoprávněné použití Vámi poskytnutých údajů máte právo předat podnět k šetření Úřadu pro ochranu osobních údajů. Více informací
Chystáte se prodat nemovitost?
Pomůžeme Vám!

Inzerát si prohlédlo 1 lidí

Prodejce

Simona Tichá

Simona Tichá

Hlídací pes

Chcete dostávat emailem podobné nabídky prodeje polí v Suchově?

Podobné nemovitosti