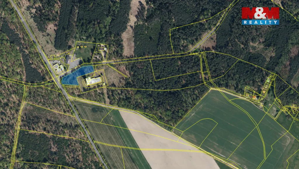
Prodej lesa, Býšť, 3807 m2

Býšť

430 000 Kč /za nemovitost HYPOTÉKA od 1 922 Kč /za měsíc
Exkluzivní partneři v Býšti

Pojištění a finance

Informace k pozemku

Prodej lesa, 3807 m², Býšť

Nabízíme k prodeji lesní pozemek o výměře 3 807 m² v katastrálním území Býšť. Pozemek se nachází na velmi dobře dostupném místě přímo u hlavního tahu Hradec Králové – Holice, naproti motorestu Koliba a benzinové stanici, na křižovatce cyklostezky z Nového Hradce Králové do Hoděšovic. Výborná dostupnost je zajištěna také autobusovou zastávkou v bezprostřední blízkosti.

Atraktivní poloha, dobrá přístupnost a vzrostlý les činí z této nabídky zajímavou investiční příležitost.

Zaujala Vás tato nabídka? Neváhejte nás kontaktovat pro více informací.

Parametry pozemku

Cena
430 000 Kč /za nemovitost Spočítat hypotéku
Aktualizováno
29. 5. 2026
Adresa
Býšť
ID
939514
Stav objektu
Dobrý
Vybaveno
Ne
Lokalita objektu
Okraj obce
Vlastnictví
Osobní
Plocha pozemku
3807 m2

Kontaktovat makléře

Realitní kancelář

Logo M&M reality

M&M reality

ulice Krakovská 583/9, Praha

Chystáte se prodat nemovitost?
Pomůžeme Vám!

Máte zájem o tento pozemek?

Tímto, v souladu s nařízením Evropského parlamentu a Rady (EU) 2016/679, v platném znění, prohlašuji, že mi je alespoň 16 let a uděluji tak svůj souhlas se zpracováním zadaných údajů (jméno, telefon, e-mail, ip adresa) společnosti B3 Technology, s.r.o., IČ: 07330600, se sídlem Novostavby 126/23, 435 11 Lom (správce dat), za účelem předání dotazu z tohoto formuláře Vámi vybranému inzerentovi a zpětného kontaktování mé osoby. Osobní údaje bude správce zpracovávat manuálně i automaticky přímo prostřednictvím svých zaměstnanců. Informace předané tímto formulářem budou uloženy v databázi správce maximálně po dobu 10 let. Odvolání souhlasu s uložením a zpracováním poskytnutých dat lze e-mailem na info@vitio.cz. V případě podezření na neoprávněné použití Vámi poskytnutých údajů máte právo předat podnět k šetření Úřadu pro ochranu osobních údajů. Více informací
Chystáte se prodat nemovitost?
Pomůžeme Vám!
Theleadway banner

Inzerát si prohlédlo 6 lidí

Prodejce

Jan Říha

Jan Říha

Hlídací pes

Chcete dostávat emailem podobné nabídky prodeje lesů v Býšti?

Podobné nemovitosti