Prodej pozemku pro bydlení, Srubec, Skalní, 613 m2 (ID: 2641380)

Skalní, Srubec

9 650 Kč /za metr čtvereční HYPOTÉKA od 43 Kč /za měsíc
Exkluzivní partneři v Srubci

Výkup a prodej starého nábytku

Informace k pozemku

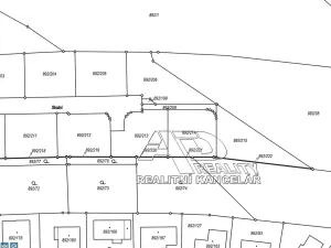
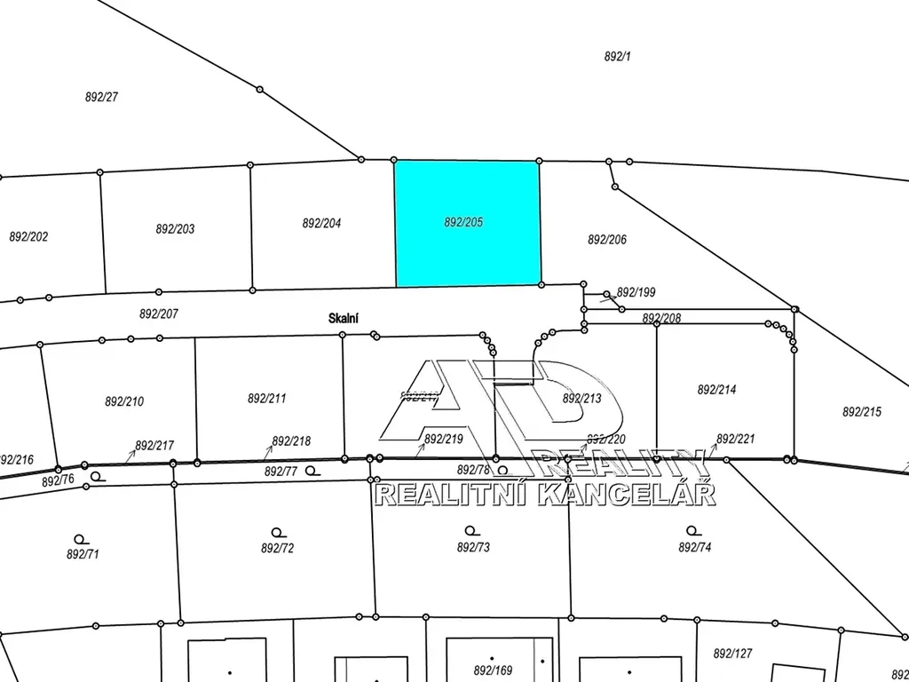
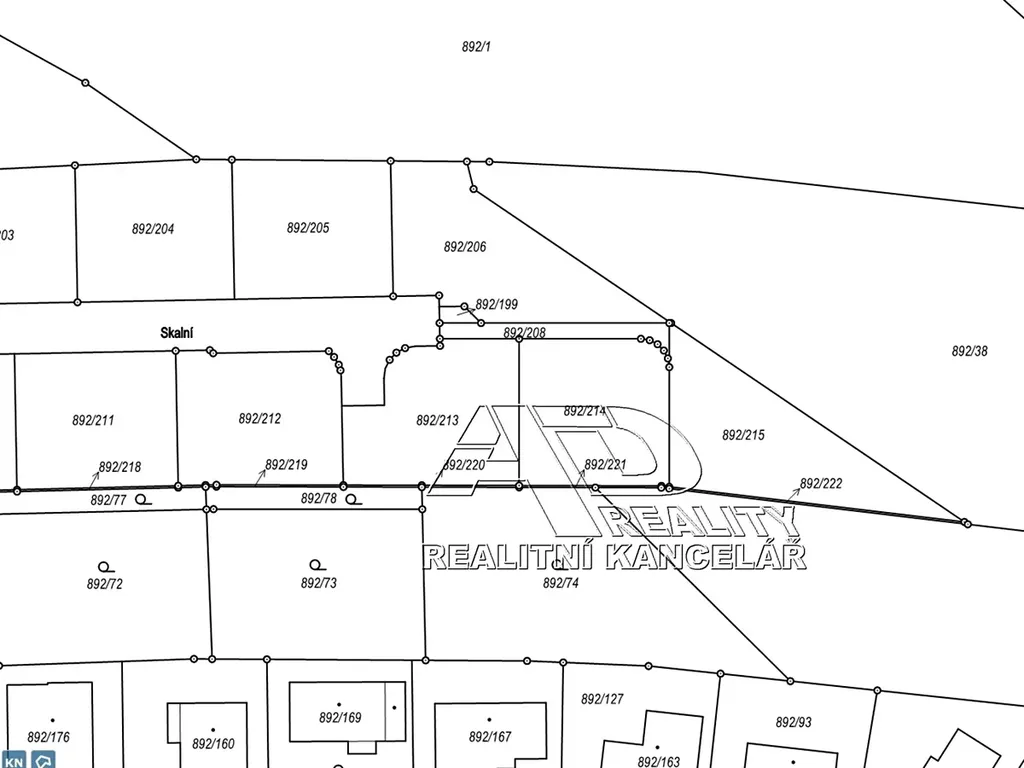
Prodej exklusivních stavebních parcel o výměře 550m2, 618m2 a 613m2 připravené k výstavbě RD v lokalitě Skalní ulice (ZTV Dobrovodská II) Srubec u Českých Budějovic, obdélníkový půdorys, přípojky IS na hranici pozemku, ZTV zkolaudováno.

Parametry pozemku

Cena
9 650 Kč /za metr čtvereční Spočítat hypotéku
Aktualizováno
14. 4. 2026
Adresa
Skalní, Srubec
ID
AD-2771-2026
Lokalita objektu
Klidná část obce
Plocha pozemku
613 m2
Elektřina
230V
Odpad
Veřejná kanalizace
Komunikace
Asfaltová
Telekomunikace
Internet, Kabelové rozvody
Doprava
Vlak, Dálnice, Silnice, MHD, Autobus
Voda
Vodovod

Kontaktovat makléře

Realitní kancelář

AD reality CB

Dr. Stejskala 108/7, České Budějovice

Chystáte se prodat nemovitost?
Pomůžeme Vám!

Máte zájem o tento pozemek?

Tímto, v souladu s nařízením Evropského parlamentu a Rady (EU) 2016/679, v platném znění, prohlašuji, že mi je alespoň 16 let a uděluji tak svůj souhlas se zpracováním zadaných údajů (jméno, telefon, e-mail, ip adresa) společnosti B3 Technology, s.r.o., IČ: 07330600, se sídlem Novostavby 126/23, 435 11 Lom (správce dat), za účelem předání dotazu z tohoto formuláře Vámi vybranému inzerentovi a zpětného kontaktování mé osoby. Osobní údaje bude správce zpracovávat manuálně i automaticky přímo prostřednictvím svých zaměstnanců. Informace předané tímto formulářem budou uloženy v databázi správce maximálně po dobu 10 let. Odvolání souhlasu s uložením a zpracováním poskytnutých dat lze e-mailem na info@vitio.cz. V případě podezření na neoprávněné použití Vámi poskytnutých údajů máte právo předat podnět k šetření Úřadu pro ochranu osobních údajů. Více informací
Chystáte se prodat nemovitost?
Pomůžeme Vám!

Inzerát si prohlédlo 1 lidí

Prodejce

Jindřich DVOŘÁK, Dipl.Tech.

Jindřich DVOŘÁK, Dipl.Tech.

Hlídací pes

Chcete dostávat emailem podobné nabídky prodeje pozemků pro bydlení v Srubci?

Podobné nemovitosti