Prodej lesa, Luhačovice, 13296 m2

Luhačovice

235 000 Kč /za nemovitost HYPOTÉKA od 1 050 Kč /za měsíc

(včetně provize RK a právních služeb)

Exkluzivní partneři v Luhačovicích

Informace k pozemku

Prodej lesa, 13296 m², Luhačovice

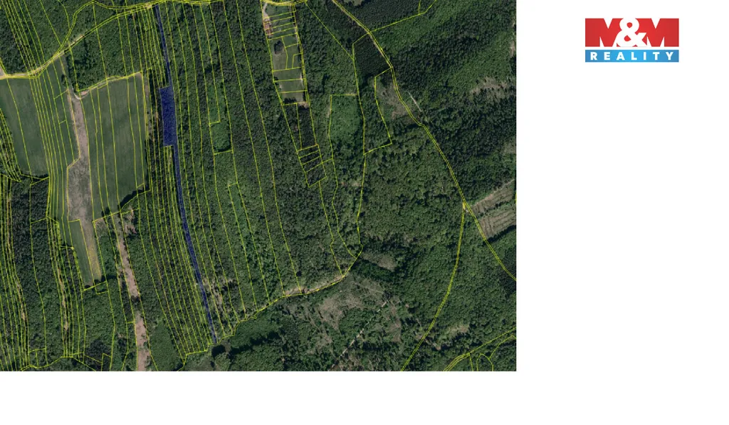
Nabízím k prodeji lesní pozemky po těžbě v katastrálním území Luhačovice, zapsané na LV 790, parcely č. 2079/44, 2315/57 a 2434/44 o celkové výměře 13 296 m².

Pozemky jsou téměř rovinaté a velmi dobře přístupné po zpevněné cestě, což zajišťuje pohodlný příjezd i pro techniku. Těžební zbytky jsou soustředěny na několika hromadách a jsou součástí prodeje.

Na pozemcích se dále nachází přibližně 80–100 m³ borovice určené k těžbě ve stáří cca 110 let.

Parametry pozemku

Cena
235 000 Kč /za nemovitost Spočítat hypotéku
Poznámka k ceně
včetně provize RK a právních služeb
Aktualizováno
13. 4. 2026
Adresa
Luhačovice
ID
939163
Stav objektu
Dobrý
Vybaveno
Ne
Lokalita objektu
Samota
Vlastnictví
Osobní
Plocha pozemku
13296 m2

Kontaktovat makléře

Realitní kancelář

Logo M&M reality

M&M reality

ulice Krakovská 583/9, Praha

Chystáte se prodat nemovitost?
Pomůžeme Vám!

Máte zájem o tento pozemek?

Tímto, v souladu s nařízením Evropského parlamentu a Rady (EU) 2016/679, v platném znění, prohlašuji, že mi je alespoň 16 let a uděluji tak svůj souhlas se zpracováním zadaných údajů (jméno, telefon, e-mail, ip adresa) společnosti B3 Technology, s.r.o., IČ: 07330600, se sídlem Novostavby 126/23, 435 11 Lom (správce dat), za účelem předání dotazu z tohoto formuláře Vámi vybranému inzerentovi a zpětného kontaktování mé osoby. Osobní údaje bude správce zpracovávat manuálně i automaticky přímo prostřednictvím svých zaměstnanců. Informace předané tímto formulářem budou uloženy v databázi správce maximálně po dobu 10 let. Odvolání souhlasu s uložením a zpracováním poskytnutých dat lze e-mailem na info@vitio.cz. V případě podezření na neoprávněné použití Vámi poskytnutých údajů máte právo předat podnět k šetření Úřadu pro ochranu osobních údajů. Více informací
Chystáte se prodat nemovitost?
Pomůžeme Vám!

Inzerát si prohlédlo 0 lidí

Prodejce

Karel Donát

Karel Donát

Hlídací pes

Chcete dostávat emailem podobné nabídky prodeje lesů v Luhačovicích?

Podobné nemovitosti