Prodej pozemku pro bydlení, Vonoklasy, 1045 m2

Vonoklasy

5 740 000 Kč /za nemovitost HYPOTÉKA od 25 654 Kč /za měsíc

(Včetně provize RK, advokátní úschovy kupní ceny a kompletních právních služeb.)

Exkluzivní partneři v Vonoklasech

Informace k pozemku

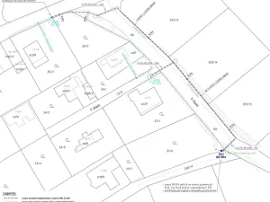
Nabízíme k prodeji stavební pozemek parc. č. 33/6 v katastrálním území Vonoklasy o výměře 1 045 m². Pozemek se nachází v klidné rezidenční části obce s výbornou dostupností do Prahy a příjemným okolím vhodným pro rodinné bydlení.

Dle územního plánu je pozemek určen jako plocha k bydlení PB1 – jednopodlažní zástavba rodinnými domy. Lze zde realizovat rodinný dům (1 nadzemní podlaží + podkroví), přičemž reálně využitelná zastavitelná část pozemku pro dům činí přibližně 400 m².

V rámci inženýrských sítí je již řešeno připojení elektřiny – byla podána žádost u ČEZ a do konce roku 2026 se počítá s připojením včetně vybudování pilíře na hranici pozemku. Pozemek je tedy prodáván jako připojený na elektřinu a náklady přípojky elektřiny jsou zahrnuty v ceně pozemku. Voda a kanalizace jsou aktuálně v řešení – existuje situační návrh napojení a probíhá komunikace s obcí ohledně finálního schválení. Samotnou vodovodní a kanalizační přípojku si vybuduje nový majitel na vlastní náklady.

Přístup na pozemek je zajištěn po asfaltové komunikaci ve vlastnictví obce.

Lokalita Vonoklasy nabízí klidné bydlení v přírodě s rychlou dostupností do Prahy – na Smíchov se dostanete cca za 20–25 minut autem. V obci a blízkém okolí se nachází základní občanská vybavenost, širší služby pak nabízí nedaleké Černošice.

Upozornění:
Nad částí pozemku vede nadzemní vedení vysokého napětí s ochranným pásmem cca 7 m na každou stranu, kde není možné umisťovat stavby, ale lze využívat jako zahradu. I přes toto omezení zůstává dostatečný prostor pro umístění rodinného domu.

Koupi pozemku lze financovat hypotečním úvěrem, s jehož vyřízením vám rádi pomůžeme.

HLAVNÍ VÝHODY:
stavební pozemek dle územního plánu (PB1 – bydlení)
výměra 1 045 m²
klidná lokalita v blízkosti Prahy
elektřina řešena (ČEZ – pilíř na hranici pozemku)
voda a kanalizace v procesu řešení
asfaltová příjezdová komunikace (obecní)
možnost výstavby rodinného domu
financování hypotékou možné Prodávající si vyhrazuje právo vybrat kupujícího na základě jím zvolených kritérií.

Parametry pozemku

Cena
5 740 000 Kč /za nemovitost Spočítat hypotéku
Poznámka k ceně
Včetně provize RK, advokátní úschovy kupní ceny a kompletních právních služeb.
Aktualizováno
18. 3. 2026
Adresa
Vonoklasy
ID
0218-NP07019
Lokalita objektu
Klidná část obce
Plocha pozemku
1045 m2
Elektřina
230V, 400V
Komunikace
Dlážděná, Asfaltová, Zpevněná
Doprava
Silnice, Autobus

Kontaktovat makléře

Máte zájem o tento pozemek?

Tímto, v souladu s nařízením Evropského parlamentu a Rady (EU) 2016/679, v platném znění, prohlašuji, že mi je alespoň 16 let a uděluji tak svůj souhlas se zpracováním zadaných údajů (jméno, telefon, e-mail, ip adresa) společnosti B3 Technology, s.r.o., IČ: 07330600, se sídlem Novostavby 126/23, 435 11 Lom (správce dat), za účelem předání dotazu z tohoto formuláře Vámi vybranému inzerentovi a zpětného kontaktování mé osoby. Osobní údaje bude správce zpracovávat manuálně i automaticky přímo prostřednictvím svých zaměstnanců. Informace předané tímto formulářem budou uloženy v databázi správce maximálně po dobu 10 let. Odvolání souhlasu s uložením a zpracováním poskytnutých dat lze e-mailem na info@vitio.cz. V případě podezření na neoprávněné použití Vámi poskytnutých údajů máte právo předat podnět k šetření Úřadu pro ochranu osobních údajů. Více informací
Chystáte se prodat nemovitost?
Pomůžeme Vám!

Inzerát si prohlédlo 0 lidí

Prodejce

Lubomír Polášek

Lubomír Polášek

Hlídací pes

Chcete dostávat emailem podobné nabídky prodeje pozemků pro bydlení v Vonoklasech?

Podobné nemovitosti