Prodej pozemku, Teplice, Jakoubkova, 13 m2

Jakoubkova, Teplice

230 000 Kč /za nemovitost HYPOTÉKA od 1 028 Kč /za měsíc

(včetně DPH, bez poplatků, + provize RK, včetně právního servisu)

Exkluzivní partneři v Teplicích

Okna a dveře

Rekonstrukce

Informace k pozemku

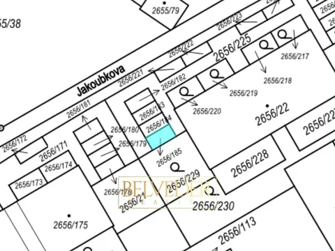
Prodej pozemku 13 m² – Teplice, ulice Jakoubková
V zastoupení majitele nabízíme k prodeji pozemek o velikosti 13 m², parcela č. 2656/209, který je vhodný výhradně jako parkovací místo. Pozemek se nachází v klidné a bezpečné části Teplic, přitom s výbornou dostupností centra města a snadným napojením na hlavní komunikace. Díky své poloze je ideální pro každého, kdo hledá bezpečné a vyhrazené parkování s možností okamžitého využití.
Pro více informací a sjednání prohlídky kontaktujte naši kancelář.

Parametry pozemku

Cena
230 000 Kč /za nemovitost Spočítat hypotéku
Poznámka k ceně
včetně DPH, bez poplatků, + provize RK, včetně právního servisu
Aktualizováno
22. 2. 2026
Adresa
Jakoubkova, Teplice
ID
00543
Plocha pozemku
13 m2
Komunikace
Asfaltová

Kontaktovat makléře

Máte zájem o tento pozemek?

Tímto, v souladu s nařízením Evropského parlamentu a Rady (EU) 2016/679, v platném znění, prohlašuji, že mi je alespoň 16 let a uděluji tak svůj souhlas se zpracováním zadaných údajů (jméno, telefon, e-mail, ip adresa) společnosti B3 Technology, s.r.o., IČ: 07330600, se sídlem Novostavby 126/23, 435 11 Lom (správce dat), za účelem předání dotazu z tohoto formuláře Vámi vybranému inzerentovi a zpětného kontaktování mé osoby. Osobní údaje bude správce zpracovávat manuálně i automaticky přímo prostřednictvím svých zaměstnanců. Informace předané tímto formulářem budou uloženy v databázi správce maximálně po dobu 10 let. Odvolání souhlasu s uložením a zpracováním poskytnutých dat lze e-mailem na info@vitio.cz. V případě podezření na neoprávněné použití Vámi poskytnutých údajů máte právo předat podnět k šetření Úřadu pro ochranu osobních údajů. Více informací
Chystáte se prodat nemovitost?
Pomůžeme Vám!

Inzerát si prohlédlo 0 lidí

Prodejce

Ing.Bc. Zhanna Zimnukhova

Ing.Bc. Zhanna Zimnukhova

Hlídací pes

Chcete dostávat emailem podobné nabídky prodeje pozemků (ostatní) v Teplicích?