Prodej pozemku, Petřvald, 746 m2 (ID: 2588389)

Petřvald

119 360 Kč /za nemovitost HYPOTÉKA od 533 Kč /za měsíc
Exkluzivní partneři v Petřvaldu

Informace k pozemku

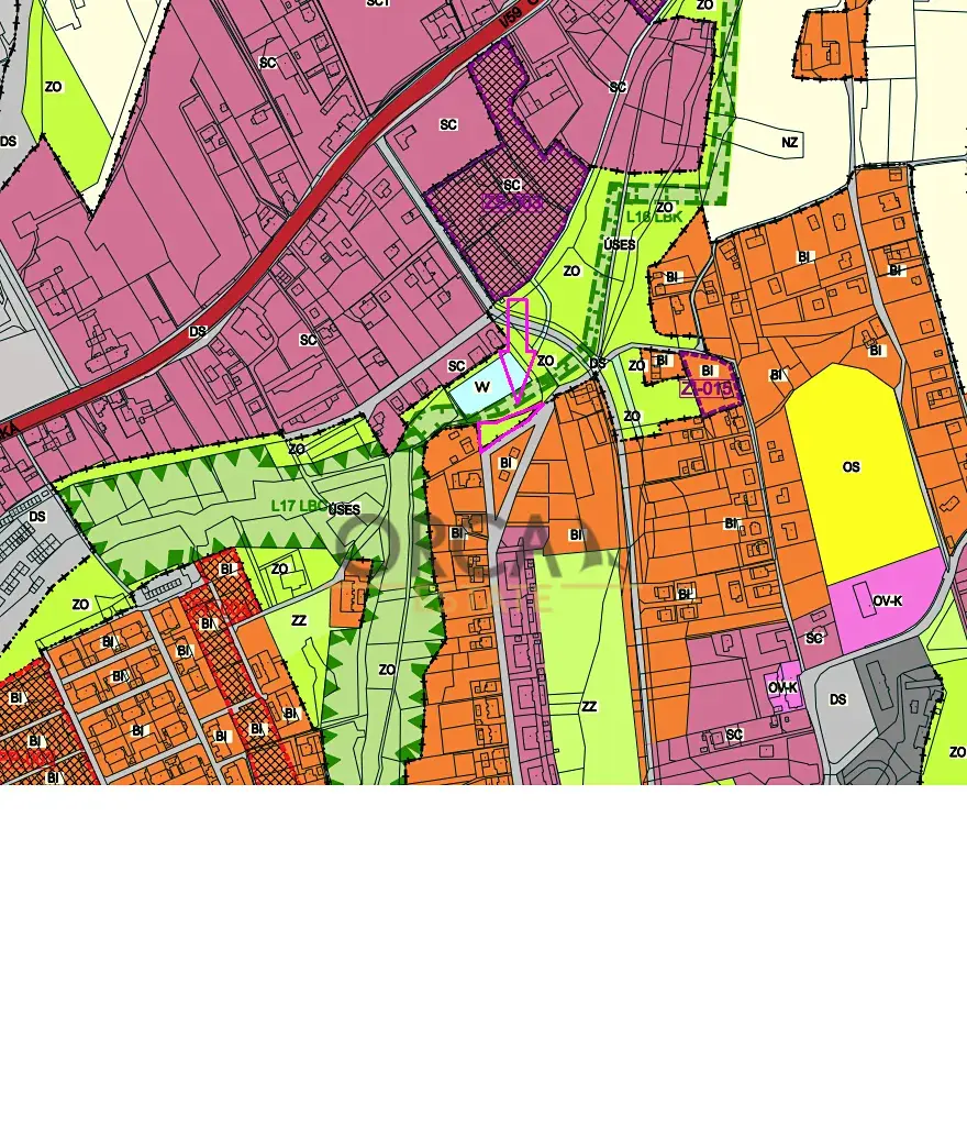
Ve výhradním zastoupení vlastníka možnost koupě investičně zajímavého pozemku, který přímo sousedí s plochami pro bydlení BI (bydlení individuální). Jedná se o plochu zeleně. Šikovný vlastník si může zažádat o změnu územního plánu a proměnit případně pozemek na stavební. Parcela č. 4996 o výměře 746 m2 se nachází v katastrálním území Petřvald u Karviné, zapsaný na LV č. 4539. Pozemek není propachtován. Prohlídky nejsou plánovány, ale na pozemek se můžete jít kdykoli podívat. Stačí do navigace zadat tuto GPS souřadnici: 49°49'26.42"N, 18°22'29.14"E. V případě zájmu o koupi mě prosím kontaktujte emailem nebo telefonicky, děkuji Vám.

Parametry pozemku

Cena
119 360 Kč /za nemovitost Spočítat hypotéku
Aktualizováno
19. 2. 2026
Adresa
Petřvald
ID
5734
Lokalita objektu
Rušná část obce
Plocha pozemku
746 m2

Kontaktovat makléře

Máte zájem o tento pozemek?

Tímto, v souladu s nařízením Evropského parlamentu a Rady (EU) 2016/679, v platném znění, prohlašuji, že mi je alespoň 16 let a uděluji tak svůj souhlas se zpracováním zadaných údajů (jméno, telefon, e-mail, ip adresa) společnosti B3 Technology, s.r.o., IČ: 07330600, se sídlem Novostavby 126/23, 435 11 Lom (správce dat), za účelem předání dotazu z tohoto formuláře Vámi vybranému inzerentovi a zpětného kontaktování mé osoby. Osobní údaje bude správce zpracovávat manuálně i automaticky přímo prostřednictvím svých zaměstnanců. Informace předané tímto formulářem budou uloženy v databázi správce maximálně po dobu 10 let. Odvolání souhlasu s uložením a zpracováním poskytnutých dat lze e-mailem na info@vitio.cz. V případě podezření na neoprávněné použití Vámi poskytnutých údajů máte právo předat podnět k šetření Úřadu pro ochranu osobních údajů. Více informací
Chystáte se prodat nemovitost?
Pomůžeme Vám!

Inzerát si prohlédlo 1 lidí

Prodejce

Pavla Vavřinová

Pavla Vavřinová

Hlídací pes

Chcete dostávat emailem podobné nabídky prodeje pozemků (ostatní) v Petřvaldu (okr. Karviná)?

Podobné nemovitosti