Prodej pole, Čachovice, 81755 m2 (ID: 2584212)

Čachovice, Struhy

Cena na vyžádání /za nemovitost Získejte výhodnou HYPOTÉKU
Exkluzivní partneři v Čachovicích

Informace k pozemku

Předmětem prodeje jsou polnosti, skládající se ze 7-mi částečně navazujících zemědělských pozemků o celkové výměře 81755 m2 na 3 katastrálních územích k.ú. Struhy, k.ú. Čachovice a k.ú. Všejany se nachází v extravilánu okolí obcí Čachovice a Všejany.

Jedná se o rovinné zemědělské pozemky nacházející se na pomezí Středolabské a Jizerské tabule.

Přístup k pozemkům je u některých pozemků možný z veřejných silnic a u některých pouze přes pozemky jiných vlastníků.
Dle územního plánu obce Čachovice se pozemek parc. 1057, k.ú. Struhy a pozemky parc. 864, parc. 866, parc. 885 k.ú. Čachovice nachází na území s funkčním využitím ploch plochy orné půdy.



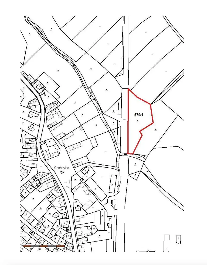
Pozemek parc. 579/1, k.ú. Čachovice se nachází na území s funkčním využitím ploch plochy luk. Dle územního plánu obce Všejany se pozemky parc. 112, parc. 11287, k.ú. Všejany nachází na území s funkčním využitím ploch plochy orné půdy.

Všechny pozemky kromě pozemku parc. 579/1, k.ú. Čachovice se dle povodňového informačního systému POVIS nenachází v záplavovém výskytu povodně/záplav. Pozemek parc. 579/1, k.ú. Čachovice se nachází v záplavovém území 20leté vody podél Vlkavského potoka.


LV č. 254, k.ú. Struhy
Jedná se o 1 rovinný zemědělský pozemek parc. 1057 o výměře 30538 m2 s využitím jako orná půda s přístupem po polní nezpevněné cestě obce Čachovice nacházející se na severozápadním vzdáleném okraji obce Čachovice.

LV č. 1r93, k.ú. Čachovice
Jedná se o 4 rovinné zemědělské pozemky parc. 579/1, 864, 866, 885 o celkové výměře 34071 m2 s využitím u 3 pozemků jako orná půda s přístupem u pozemku parc. 885 ze silnice Čachovice – Lipník, u pozemků parc. 864, 866 po polích ve vlastnictví jiných osob. Využití pozemku parc. 579/1 je jako louka se zvýšenou hladinou spodní vody způsobenou Vlkavským potokem. Přístup k pozemku je přes pozemek jiného vlastníka.

Pozemky parc. 864, 866, 885 se nachází na západním a jihozápadním vzdáleném okraji obce Čachovice a pozemek parc. 579/1 se nachází na severovýchodním okraji obce Čachovice.
LV č. 50Ř, k.ú. Všejany.
Jedná se o 2 rovinné pozemky parc. 1127, 1128 o výměře 17146 m2 s využitím pro pozemek parc. 1127 jako orná půda s přístupem ze silnice Čachovice – Vanovice. Pozemek parc. 1128 je malý rovinný pozemek uvnitř pozemku parc. 1127, na kterém se nachází skruž s označením veřejného vodovodu vedoucího pod pozemky podél silnice. Pozemky se nachází na jižním vzdáleném okraji obce Čachovice.



Dle znaleckého posudku je cena obyvyklá všech nabízenýh pozemků 3.640.000,- Kč.

Ale lze samozřejmě podat nabídku i na jednotlivé pozemky, dle přiložené tabulky, kde jsou uvedeny požadované ceny za jednotlivé polnosti.


Znalecký posudek zájemci bude zaslán na vyžádání.

Parametry pozemku

Cena
Cena na vyžádání Spočítat hypotéku
Aktualizováno
16. 2. 2026
Adresa
Čachovice, Struhy
Plocha pozemku
81755 m2

Kontaktovat makléře

Realitní kancelář

LAGIS REAL s.r.o.

Železná 545/5, Praha, Staré Město

Chystáte se prodat nemovitost?
Pomůžeme Vám!

Máte zájem o tento pozemek?

Tímto, v souladu s nařízením Evropského parlamentu a Rady (EU) 2016/679, v platném znění, prohlašuji, že mi je alespoň 16 let a uděluji tak svůj souhlas se zpracováním zadaných údajů (jméno, telefon, e-mail, ip adresa) společnosti B3 Technology, s.r.o., IČ: 07330600, se sídlem Novostavby 126/23, 435 11 Lom (správce dat), za účelem předání dotazu z tohoto formuláře Vámi vybranému inzerentovi a zpětného kontaktování mé osoby. Osobní údaje bude správce zpracovávat manuálně i automaticky přímo prostřednictvím svých zaměstnanců. Informace předané tímto formulářem budou uloženy v databázi správce maximálně po dobu 10 let. Odvolání souhlasu s uložením a zpracováním poskytnutých dat lze e-mailem na info@vitio.cz. V případě podezření na neoprávněné použití Vámi poskytnutých údajů máte právo předat podnět k šetření Úřadu pro ochranu osobních údajů. Více informací
Chystáte se prodat nemovitost?
Pomůžeme Vám!

Inzerát si prohlédlo 0 lidí

Prodejce

Ing. Michal Skuhra, MBA

Ing. Michal Skuhra, MBA

Hlídací pes

Chcete dostávat emailem podobné nabídky prodeje polí v Čachovicích?