Prodej pozemku pro bydlení, Brno, Vinohrady, 990 m2

Vinohrady, Brno, Pisárky

4 500 000 Kč /za nemovitost HYPOTÉKA od 20 112 Kč /za měsíc

(včetně provize)

Exkluzivní partneři v Brně

Informace k pozemku

Pozemky s rodinným domem – Brno-Pisárky, ul. Vinohrady

Pozemky se stávajícím rodinným domem v atraktivní lokalitě Brno – Pisárky, při ulici Vinohrady, na rozhraní katastrálních území Pisárky a Bohunice. Nemovitost se nachází na jižním okraji Pisárek, v bezprostřední blízkosti Campus Masarykovy univerzity, FN Brno – Bohunice a botanické zahrady.

Pozemky jsou svažitě situované, oplocené a přístupné přímo z místní zpevněné komunikace. Nabízejí možnost napojení na veškeré inženýrské sítě. V okolí převažuje rezidenční a zahrádkářská zástavba, s velmi dobrou dostupností MHD i rychlým napojením na dálniční přivaděč.

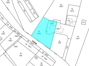
Na pozemku parc. č. 1350/2 se nachází řadový koncový rodinný dům č.p. 492, zděné konstrukce, se sedlovou a částečně plochou střechou. Stavba je v havarijním technickém stavu a je vhodná k celkové rekonstrukci nebo odstranění, přičemž hlavní hodnotu nemovitosti tvoří samotné pozemky.

Druhý pozemek parc. č. 1356/2 je veden jako svažitá zahrada, aktuálně neudržovaná, převážně s náletovou zelení. Součástí pozemků jsou také venkovní úpravy a přípojky inženýrských sítí, oplocení, kanalizační jímka a venkovní bazén.

Dle platného územního plánu města Brna se pozemky nacházejí ve stabilizované ploše RX – rekreace jiná, současně v oblasti územní rezervy R.OV.3 – občanské vybavení veřejné, což do budoucna nabízí zajímavý rozvojový potenciál.

Nemovitost se nachází v chráněném území a v povodňové zóně 2 (nízké riziko).

Hlavní výhody:

vyhledávaná lokalita Brno – Pisárky
klidné prostředí v zeleni, přesto výborná dostupnost
blízkost univerzitního kampusu a nemocnice
přímý přístup z veřejné komunikace
možnost napojení na všechny IS
investiční a rozvojový potenciál lokality


Nemovitost je vhodná pro investory nebo zájemce o výstavbu či rekonstrukci v jedné z nejžádanějších částí Brna.

Parametry pozemku

Cena
4 500 000 Kč /za nemovitost Spočítat hypotéku
Poznámka k ceně
včetně provize
Aktualizováno
12. 2. 2026
Adresa
Vinohrady, Brno, Pisárky
ID
00030
Plocha pozemku
990 m2

Kontaktovat makléře

Máte zájem o tento pozemek?

Tímto, v souladu s nařízením Evropského parlamentu a Rady (EU) 2016/679, v platném znění, prohlašuji, že mi je alespoň 16 let a uděluji tak svůj souhlas se zpracováním zadaných údajů (jméno, telefon, e-mail, ip adresa) společnosti B3 Technology, s.r.o., IČ: 07330600, se sídlem Novostavby 126/23, 435 11 Lom (správce dat), za účelem předání dotazu z tohoto formuláře Vámi vybranému inzerentovi a zpětného kontaktování mé osoby. Osobní údaje bude správce zpracovávat manuálně i automaticky přímo prostřednictvím svých zaměstnanců. Informace předané tímto formulářem budou uloženy v databázi správce maximálně po dobu 10 let. Odvolání souhlasu s uložením a zpracováním poskytnutých dat lze e-mailem na info@vitio.cz. V případě podezření na neoprávněné použití Vámi poskytnutých údajů máte právo předat podnět k šetření Úřadu pro ochranu osobních údajů. Více informací
Chystáte se prodat nemovitost?
Pomůžeme Vám!

Inzerát si prohlédlo 0 lidí

Prodejce

Tomáš Zvěřina

Tomáš Zvěřina

Hlídací pes

Chcete dostávat emailem podobné nabídky prodeje pozemků pro bydlení v Brně?

Podobné nemovitosti