Prodej pozemku pro bydlení, Květná, 1246 m2 (ID: 2577246)

Květná

2 367 400 Kč /za nemovitost HYPOTÉKA od 10 581 Kč /za měsíc
Exkluzivní partneři v Květné

Informace k pozemku

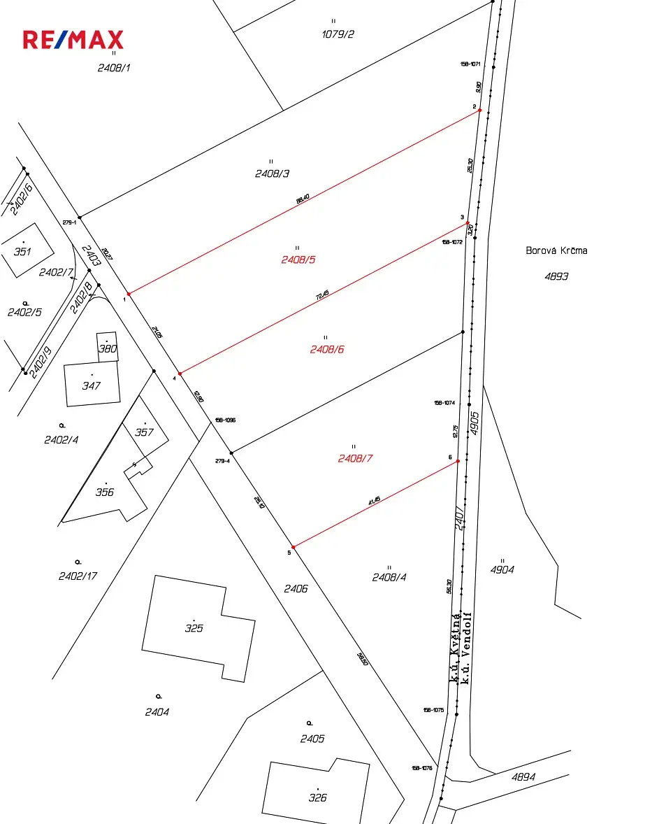
Nabízíme vám krásný, rovinatý stavební pozemek o rozloze 1 246 m² v klidné části obce Květná, v oblasti Borová krčma

Pozemek je určen k výstavbě rodinného domu, a nachází se v nově se rozvíjející oblasti plné novostaveb, kde panuje klidná atmosféra a dostatek soukromí. Díky své poloze je ideální pro ty, kteří chtějí žít v přírodě, ale zároveň mít město na dosah.

Dle územního plánu se na pozemku dá postavit jednopodlažní dům + podkorví.
Voda bude na pozemek zavedena majiteli. Bude prodloužen vodovodní řád na pozemek včetně přípojky.
Aktuálně je přístupová cesta v osobním vlastnictví, přičemž její převod do vlastnictví města Květná je plánován na listopad 2025. Část cesty je již vykoupena.

Elektřinu v lokalitě zajištujě ČEZ a je předjednáno zasíťování pozemků, stačí jen vyrozumět, v jaké části pozemku bude stát Váš nový domov. kanalizace je v plánu během 2–3 let.

Pozemek sousedí přímo s lesem, což zajišťuje nádherný výhled do zeleně a okamžitý přístup do přírody. Vedle se rozprostírá pole, ideální na procházky nebo venčení psů.

Díky skvělé dopravní dostupnosti jste autem za 6 minut ve Svitavách a stejně tak v Poličce. Místo tak nabízí ideální kombinaci klidu venkova a pohodlného dosahu městské infrastruktury. V současné době probíhá stavba D35, která po vybudování velmi urychlí dopravní dostupnost.

Pokud hledáte pozemek pro výstavbu vysněného domu, který vám poskytne soukromí, klid a zároveň dobré spojení do města, tato nabídka je přesně pro vás.

Pokud vás nabídka zaujala, neváhejte se ozvat. Rádi vám poskytneme více informací a domluvíme osobní prohlídku.

Parametry pozemku

Cena
2 367 400 Kč /za nemovitost Spočítat hypotéku
Aktualizováno
7. 2. 2026
Adresa
Květná
ID
0020-NP10591
Plocha pozemku
1246 m2
Elektřina
120V, 230V, 400V

Kontaktovat makléře

Realitní kancelář

RE/MAX G8 Reality

Rohanské nábřeží 678/27, Praha

Chystáte se prodat nemovitost?
Pomůžeme Vám!

Máte zájem o tento pozemek?

Tímto, v souladu s nařízením Evropského parlamentu a Rady (EU) 2016/679, v platném znění, prohlašuji, že mi je alespoň 16 let a uděluji tak svůj souhlas se zpracováním zadaných údajů (jméno, telefon, e-mail, ip adresa) společnosti B3 Technology, s.r.o., IČ: 07330600, se sídlem Novostavby 126/23, 435 11 Lom (správce dat), za účelem předání dotazu z tohoto formuláře Vámi vybranému inzerentovi a zpětného kontaktování mé osoby. Osobní údaje bude správce zpracovávat manuálně i automaticky přímo prostřednictvím svých zaměstnanců. Informace předané tímto formulářem budou uloženy v databázi správce maximálně po dobu 10 let. Odvolání souhlasu s uložením a zpracováním poskytnutých dat lze e-mailem na info@vitio.cz. V případě podezření na neoprávněné použití Vámi poskytnutých údajů máte právo předat podnět k šetření Úřadu pro ochranu osobních údajů. Více informací
Chystáte se prodat nemovitost?
Pomůžeme Vám!

Inzerát si prohlédlo 0 lidí

Prodejce

Ing. Filip Šubrt

Ing. Filip Šubrt

Hlídací pes

Chcete dostávat emailem podobné nabídky prodeje pozemků pro bydlení v Květné?

Podobné nemovitosti