Prodej pozemku, Praha - Lipence, 13 m2

Praha-Lipence

18 200 Kč /za nemovitost HYPOTÉKA od 81 Kč /za měsíc

(včetně provize a právního servisu.)

Exkluzivní partneři v Praze

Stěhovací služby

Výkup a prodej starého nábytku

Informace k pozemku

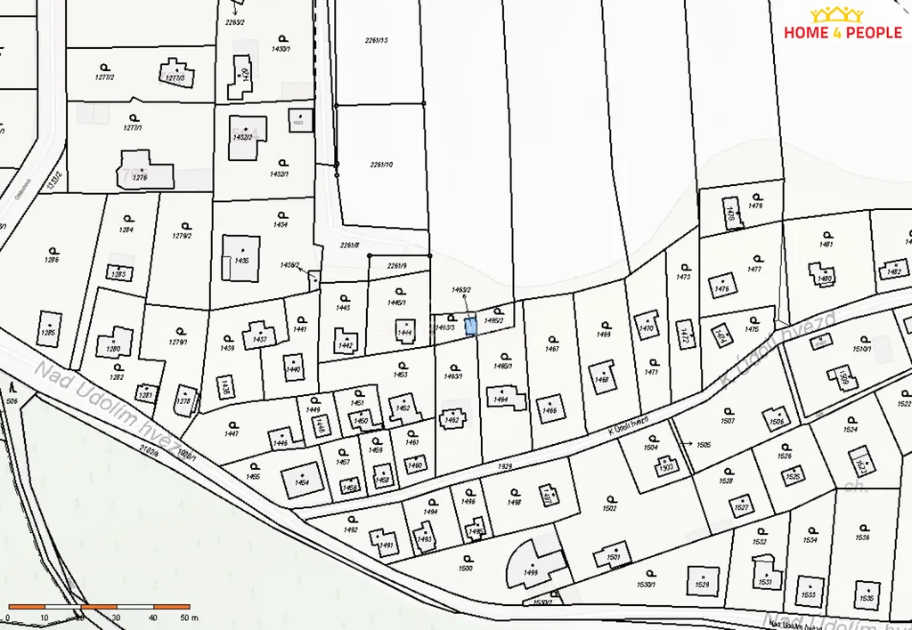
Nabízíme k prodeji spoluvlastnický podíl 1/2 na pozemku parc. č. 1463/2 v katastrálním území Lipence, zapsaném na LV 977.
Pozemek má celkovou výměru cca 13 m², předmětem prodeje je tedy ideální polovina podílu.
Parcela se nachází v klidné části Lipenců a je evidována v katastru nemovitostí. Prodej je vhodný zejména pro zájemce o rozšíření stávajícího pozemku v okolí nebo jako dlouhodobá investice.
Podrobnější informace k pozemku, listu vlastnictví a právnímu stavu rádi poskytneme na vyžádání. Ev. číslo: 32048.

Parametry pozemku

Cena
18 200 Kč /za nemovitost Spočítat hypotéku
Poznámka k ceně
včetně provize a právního servisu.
Aktualizováno
28. 12. 2025
Adresa
Praha-Lipence
ID
32048
Plocha pozemku
13 m2

Kontaktovat makléře

Máte zájem o tento pozemek?

Tímto, v souladu s nařízením Evropského parlamentu a Rady (EU) 2016/679, v platném znění, prohlašuji, že mi je alespoň 16 let a uděluji tak svůj souhlas se zpracováním zadaných údajů (jméno, telefon, e-mail, ip adresa) společnosti B3 Technology, s.r.o., IČ: 07330600, se sídlem Novostavby 126/23, 435 11 Lom (správce dat), za účelem předání dotazu z tohoto formuláře Vámi vybranému inzerentovi a zpětného kontaktování mé osoby. Osobní údaje bude správce zpracovávat manuálně i automaticky přímo prostřednictvím svých zaměstnanců. Informace předané tímto formulářem budou uloženy v databázi správce maximálně po dobu 10 let. Odvolání souhlasu s uložením a zpracováním poskytnutých dat lze e-mailem na info@vitio.cz. V případě podezření na neoprávněné použití Vámi poskytnutých údajů máte právo předat podnět k šetření Úřadu pro ochranu osobních údajů. Více informací
Chystáte se prodat nemovitost?
Pomůžeme Vám!

Inzerát si prohlédlo 0 lidí

Prodejce

František Zbahna

František Zbahna

Hlídací pes

Chcete dostávat emailem podobné nabídky prodeje pozemků (ostatní) v Praze?

Podobné nemovitosti