Prodej zahrady, Praha - Lipence, 82 m2

Praha-Lipence

114 800 Kč /za nemovitost HYPOTÉKA od 513 Kč /za měsíc

(včetně provize a právního servisu.)

Exkluzivní partneři v Praze

Stěhovací služby

Výkup a prodej starého nábytku

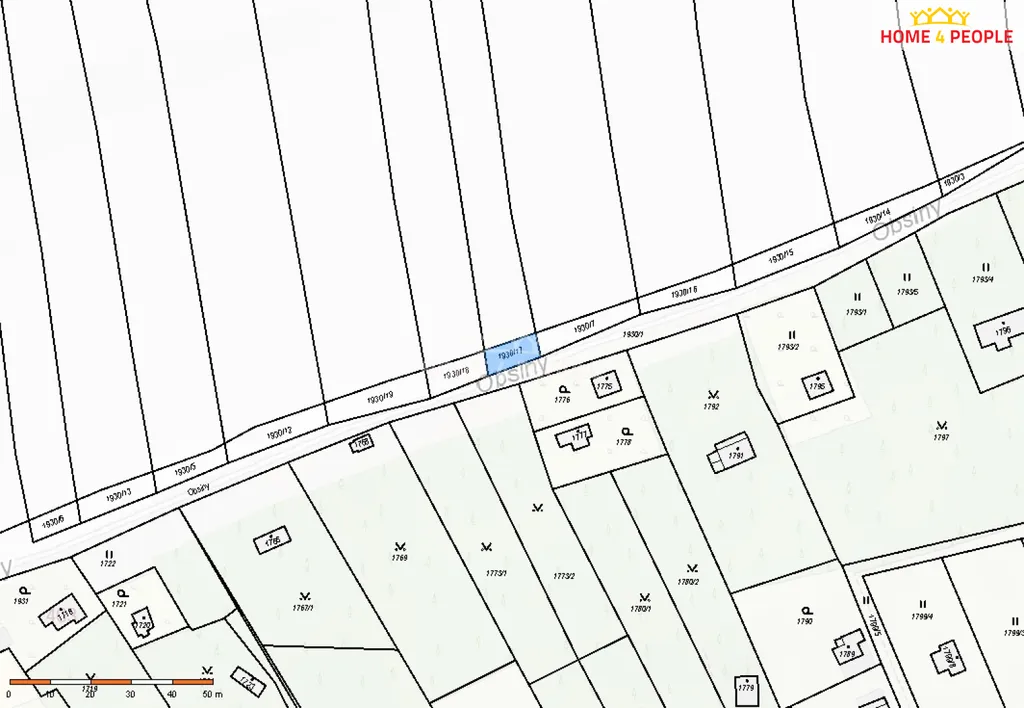
Informace k pozemku

Nabízíme k prodeji spoluvlastnický podíl 1/2 na pozemku parc. č. 1930/17 v katastrálním území Lipence, zapsaném na LV 977.
Pozemek má celkovou výměru cca 82 m², předmětem prodeje je tedy ideální polovina podílu.
Parcela se nachází v klidné části Lipenců a je evidována v katastru nemovitostí. Prodej je vhodný zejména pro zájemce o rozšíření stávajícího pozemku v okolí nebo jako dlouhodobá investice.
Podrobnější informace k pozemku, listu vlastnictví a právnímu stavu rádi poskytneme na vyžádání. Ev. číslo: 32052.

Parametry pozemku

Cena
114 800 Kč /za nemovitost Spočítat hypotéku
Poznámka k ceně
včetně provize a právního servisu.
Aktualizováno
28. 12. 2025
Adresa
Praha-Lipence
ID
32052
Plocha pozemku
82 m2

Kontaktovat makléře

Máte zájem o tento pozemek?

Tímto, v souladu s nařízením Evropského parlamentu a Rady (EU) 2016/679, v platném znění, prohlašuji, že mi je alespoň 16 let a uděluji tak svůj souhlas se zpracováním zadaných údajů (jméno, telefon, e-mail, ip adresa) společnosti B3 Technology, s.r.o., IČ: 07330600, se sídlem Novostavby 126/23, 435 11 Lom (správce dat), za účelem předání dotazu z tohoto formuláře Vámi vybranému inzerentovi a zpětného kontaktování mé osoby. Osobní údaje bude správce zpracovávat manuálně i automaticky přímo prostřednictvím svých zaměstnanců. Informace předané tímto formulářem budou uloženy v databázi správce maximálně po dobu 10 let. Odvolání souhlasu s uložením a zpracováním poskytnutých dat lze e-mailem na info@vitio.cz. V případě podezření na neoprávněné použití Vámi poskytnutých údajů máte právo předat podnět k šetření Úřadu pro ochranu osobních údajů. Více informací
Chystáte se prodat nemovitost?
Pomůžeme Vám!

Inzerát si prohlédlo 11 lidí

Prodejce

František Zbahna

František Zbahna

Hlídací pes

Chcete dostávat emailem podobné nabídky prodeje zahrad v Praze?

Top nabídky

Podobné nemovitosti