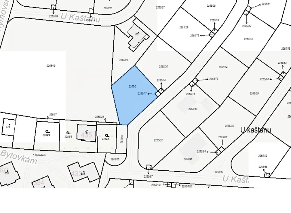
Prodej pozemku pro bydlení, Hudlice, U Kaštanu, 818 m2

U Kaštanu, Hudlice

4 400 000 Kč /za nemovitost HYPOTÉKA od 19 665 Kč /za měsíc
Exkluzivní partneři v Hudlicích

Informace k pozemku

Nabízíme k prodeji stavební pozemek o výměře 818 m2 v Hudlicích, okres Beroun.
Pozemek je územním plánem určený pro výstavbu domu s číslem popisným.
Pozemek je kompletně zasíťovaný, přípojka elektro, vodovodu a kanalizace jsou vybudované již přímo na pozemku. Na pozemku Vám můžeme postavit dům podle Vašich představ. Stavět zde je možné jen domy se sedlovou střechou. K dispozici je zde více pozemků.
Náš architekt je Vám k dispozici.

Parametry pozemku

Cena
4 400 000 Kč /za nemovitost Spočítat hypotéku
Aktualizováno
29. 1. 2026
Adresa
U Kaštanu, Hudlice
Plocha pozemku
818 m2

Kontaktovat makléře

Realitní kancelář

FINMARK CONSULTING, s.r.o.

Za Bažantnicí 987/6, Praha, Kunratice

Chystáte se prodat nemovitost?
Pomůžeme Vám!

Máte zájem o tento pozemek?

Tímto, v souladu s nařízením Evropského parlamentu a Rady (EU) 2016/679, v platném znění, prohlašuji, že mi je alespoň 16 let a uděluji tak svůj souhlas se zpracováním zadaných údajů (jméno, telefon, e-mail, ip adresa) společnosti B3 Technology, s.r.o., IČ: 07330600, se sídlem Novostavby 126/23, 435 11 Lom (správce dat), za účelem předání dotazu z tohoto formuláře Vámi vybranému inzerentovi a zpětného kontaktování mé osoby. Osobní údaje bude správce zpracovávat manuálně i automaticky přímo prostřednictvím svých zaměstnanců. Informace předané tímto formulářem budou uloženy v databázi správce maximálně po dobu 10 let. Odvolání souhlasu s uložením a zpracováním poskytnutých dat lze e-mailem na info@vitio.cz. V případě podezření na neoprávněné použití Vámi poskytnutých údajů máte právo předat podnět k šetření Úřadu pro ochranu osobních údajů. Více informací
Chystáte se prodat nemovitost?
Pomůžeme Vám!

Inzerát si prohlédlo 8 lidí

Prodejce

Marcela Šínová

Marcela Šínová

Hlídací pes

Chcete dostávat emailem podobné nabídky prodeje pozemků pro bydlení v Hudlicích?

Podobné nemovitosti