Prodej louky, Proseč pod Ještědem, 3713 m2 (ID: 2536003)

Proseč pod Ještědem, Javorník

Cena na vyžádání /za nemovitost Získejte výhodnou HYPOTÉKU
Exkluzivní partneři v Proseči pod Ještědem

Rekonstrukce

Úklidové služby

Informace k pozemku

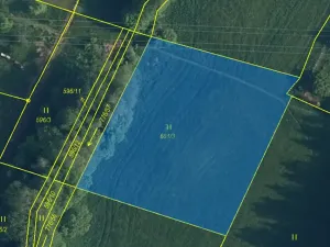
Nabízíme k prodeji výjimečný soubor pozemků v lokalitě Javorník u Českého Dubu, který představuje jedinečnou příležitost pro investory i milovníky přírody. Jedná se o čtyři pozemky s různým charakterem využití.

Tři pozemky jsou vedeny jako trvalý travní porost - parcelní čísla 596/3 s výměrou 825 m², 596/12 s výměrou 120 m² a 601/3 s výměrou 2522 m². Tyto pozemky jsou ideální pro zemědělské využití, pastviny pro hospodářská zvířata nebo jako místo pro rekreační aktivity v přírodě. Čtvrtý pozemek s číslem 776/57 s výměrou 246 m² je veden jako vodní plocha, což celému souboru dodává na atraktivitě a vytváří unikátní přírodní celek s vlastním vodním prvkem.

Pozemky se nacházejí v klidné části s dobrou dostupností. Český Dub jako nejbližší město poskytuje veškerou občanskou vybavenost včetně obchodů, škol, zdravotnických zařízení a dalších služeb. Spojení s většími městy jako Liberec je zajištěno kvalitní silniční sítí a pravidelnou autobusovou dopravou.

Tento soubor pozemků představuje výjimečnou investiční příležitost jak pro zemědělské využití, tak pro rekreační účely nebo dlouhodobé zhodnocení kapitálu. Vodní plocha významně zvyšuje atraktivitu a hodnotu celého souboru.

Pro bližší informace a možnosti prohlídky nás prosím kontaktujte.

Parametry pozemku

Cena
Cena na vyžádání Spočítat hypotéku
Aktualizováno
18. 3. 2026
Adresa
Proseč pod Ještědem, Javorník
Plocha pozemku
3713 m2

Kontaktovat makléře

Realitní kancelář

Logo Reality Mikeš s.r.o.

Reality Mikeš s.r.o.

Proseč pod Ještědem 79, Proseč pod Ještědem

Chystáte se prodat nemovitost?
Pomůžeme Vám!

Máte zájem o tento pozemek?

Tímto, v souladu s nařízením Evropského parlamentu a Rady (EU) 2016/679, v platném znění, prohlašuji, že mi je alespoň 16 let a uděluji tak svůj souhlas se zpracováním zadaných údajů (jméno, telefon, e-mail, ip adresa) společnosti B3 Technology, s.r.o., IČ: 07330600, se sídlem Novostavby 126/23, 435 11 Lom (správce dat), za účelem předání dotazu z tohoto formuláře Vámi vybranému inzerentovi a zpětného kontaktování mé osoby. Osobní údaje bude správce zpracovávat manuálně i automaticky přímo prostřednictvím svých zaměstnanců. Informace předané tímto formulářem budou uloženy v databázi správce maximálně po dobu 10 let. Odvolání souhlasu s uložením a zpracováním poskytnutých dat lze e-mailem na info@vitio.cz. V případě podezření na neoprávněné použití Vámi poskytnutých údajů máte právo předat podnět k šetření Úřadu pro ochranu osobních údajů. Více informací
Chystáte se prodat nemovitost?
Pomůžeme Vám!

Inzerát si prohlédlo 12 lidí

Prodejce

Stanislav Mikeš

Stanislav Mikeš

Hlídací pes

Chcete dostávat emailem podobné nabídky prodeje louk v Proseči pod Ještědem?

Podobné nemovitosti