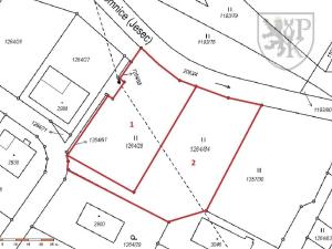
Prodej pozemku pro bydlení, Strunkovice nad Volyňkou, 698 m2

Strunkovice nad Volyňkou

Cena na vyžádání /za nemovitost Získejte výhodnou HYPOTÉKU

(cena u makléře)

Exkluzivní partneři v Strunkovicích nad Volyňkou

Informace k pozemku

Nabízíme k prodeji pozemek, který je dle ÚP určen k výstavbě rodinného domu. Pozemek má výměru 698 m², nachází se na okraji obce Strunkovice nad Volyňkou. Strunkovice jsou vzdáleny cca 8 km od Strakonic, kde naleznete veškerou občanskou vybavenost. Zdroj vody je možno využít studnu zajištěnou věcným břemenem odběru vody, která je na hranici pozemku. Likvidace odpadních vod prostřednictvím ČOV s možností napojení do zásaku.

Dle územního plánu pozemek spadá do plochy Smíšené obytné - venkovské. Podmínky využití:
Hlavní využití (převažující účel využití)
- bydlení
Přípustné využití
- bydlení formou zemědělských usedlostí plně respektující hodnoty území doplněné
dalšími činnostmi zejména zemědělstvím či podnikatelkou činností zejména řemeslného
charakteru, např. truhlárny, tesařské dílny, klempířství, zámečnictví, kovářství,
pneuservisy, autoopravny, sklenářství, hostinská činnost a stravování, obchodní činnosti
místního významu
- veřejná prostranství
- zeleň
- vodní útvary
- občanské vybavení slučitelné s bydlením:
o ubytování jako doplňková funkce v rámci zemědělských usedlostí
o administrativa - správa a řízení (např. kanceláře)
- oplocení pouze stavebního pozemku
- dopravní a technická infrastruktura obecního významu
Nepřípustné využití
- bydlení formou rodinného domu, bytového domu
- oplocení mimo přípustné
- rekreace včetně staveb pro rodinnou rekreaci
- ubytování včetně hotelů, penziónů, motelů, ostatních ubytovacích zařízení mimo
přípustné
- obchodní činnosti včetně staveb pro obchod mimo přípustné, které překročí obecní
význam zejména obsahující celkovou prodejní plochu větší než 1000 m2
- výroba a skladování včetně staveb pro výrobu a skladování mimo uvedených jako
přípustné
- farmové a zájmové chovy
- dále např. čerpací stanice pohonných hmot, myčky, diskotéky, hromadné a řadové
garáže, autobazary, stavby se shromažďovacím prostorem
Podmínky prostorového uspořádání (! tento pozemek se nenachází v ploše SOv-1!)
Stavební záměry v ploše SOv-1 musí respektovat výškovou hladinu stávající historické
zástavby zemědělských usedlostí v sídle. Stavební záměry musí striktně respektovat hodnoty
území a tradiční charakter zemědělských usedlostí. Hlavní stavba pro bydlení a ostatní stavby,
které plní doplňkovou funkci ke stavbě hlavní (např. garáže, dílny a hospodářské stavby, které
tvoří zázemí pro hlavní využití bydlení), budou umístěny v souladu s hodnotami území tak, aby stavebně a architektonicky tvořily jeden ucelený soubor nejlépe ve tvaru půdorysu L nebo
U, kdy hlavní část bude mít obdélníkový půdorys.
Pro plochu SOv-1 platí, že se bude jednat pouze o rozvolněnou zástavbu samostatně
stojících zemědělských usedlostí v maximálním počtu 10 zemědělských usedlostí pro celou
plochu SOv-1.
Maximální velikost jednoho stavebního pozemku v ploše SOv-1 je 2 000 m2.

Pokud vás nabídka zaujala, kontaktujte makléře. S financováním vám mohou pomoci naši finanční specialisté.

Parametry pozemku

Cena
Cena na vyžádání Spočítat hypotéku
Poznámka k ceně
cena u makléře
Aktualizováno
6. 11. 2025
Adresa
Strunkovice nad Volyňkou
ID
0943
Lokalita objektu
Okraj obce
Plocha pozemku
698 m2
Komunikace
Asfaltová, Zpevněná
Doprava
Vlak, Silnice, Autobus

Kontaktovat makléře

Máte zájem o tento pozemek?

Tímto, v souladu s nařízením Evropského parlamentu a Rady (EU) 2016/679, v platném znění, prohlašuji, že mi je alespoň 16 let a uděluji tak svůj souhlas se zpracováním zadaných údajů (jméno, telefon, e-mail, ip adresa) společnosti B3 Technology, s.r.o., IČ: 07330600, se sídlem Novostavby 126/23, 435 11 Lom (správce dat), za účelem předání dotazu z tohoto formuláře Vámi vybranému inzerentovi a zpětného kontaktování mé osoby. Osobní údaje bude správce zpracovávat manuálně i automaticky přímo prostřednictvím svých zaměstnanců. Informace předané tímto formulářem budou uloženy v databázi správce maximálně po dobu 10 let. Odvolání souhlasu s uložením a zpracováním poskytnutých dat lze e-mailem na info@vitio.cz. V případě podezření na neoprávněné použití Vámi poskytnutých údajů máte právo předat podnět k šetření Úřadu pro ochranu osobních údajů. Více informací
Chystáte se prodat nemovitost?
Pomůžeme Vám!

Inzerát si prohlédlo 0 lidí

Prodejce

Pavel Kučerák

Pavel Kučerák

Hlídací pes

Chcete dostávat emailem podobné nabídky prodeje pozemků pro bydlení v Strunkovicích nad Volyňkou?

Podobné nemovitosti