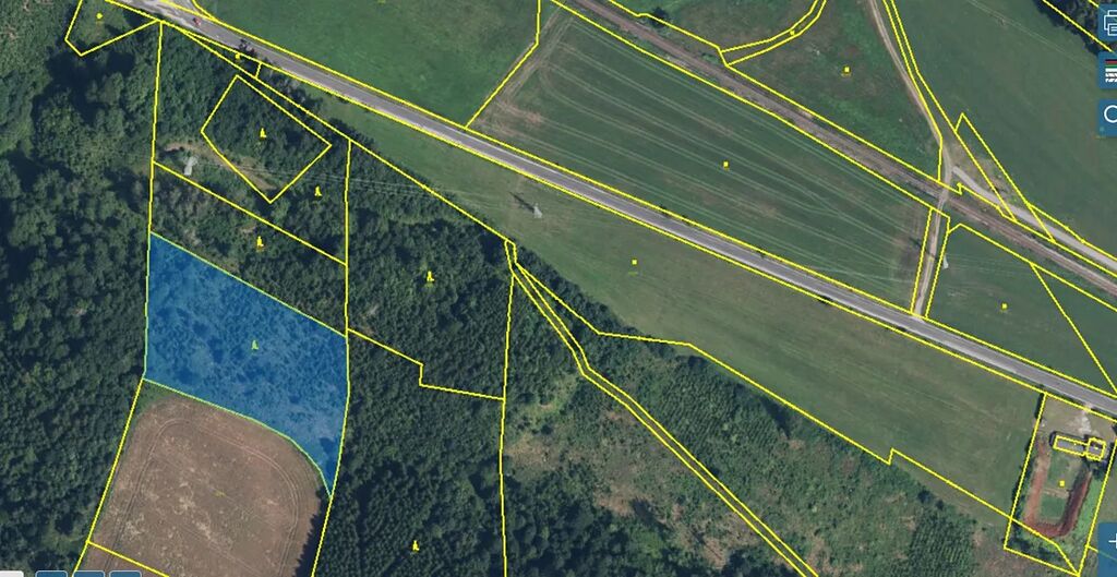
Prodej lesa, Horní Olešnice, 7037 m2

Horní Olešnice

25 Kč /za metr čtvereční HYPOTÉKA od 0 Kč /za měsíc
Exkluzivní partneři v Horní Olešnici

Informace k pozemku

Nabízíme k prodeji lesní pozemek p.č. 461 , k.ú. Horní Olešnice o celkové výměře 7 037 m2.
Inzerent je majitelem nemovitosti.

Parametry pozemku

Cena
25 Kč /za metr čtvereční Spočítat hypotéku
Aktualizováno
5. 11. 2025
Adresa
Horní Olešnice
Plocha pozemku
7037 m2

Kontaktovat makléře

Realitní kancelář

Forestlaan

Přístavní 321/14, Praha

Chystáte se prodat nemovitost?
Pomůžeme Vám!

Máte zájem o tento pozemek?

Tímto, v souladu s nařízením Evropského parlamentu a Rady (EU) 2016/679, v platném znění, prohlašuji, že mi je alespoň 16 let a uděluji tak svůj souhlas se zpracováním zadaných údajů (jméno, telefon, e-mail, ip adresa) společnosti B3 Technology, s.r.o., IČ: 07330600, se sídlem Novostavby 126/23, 435 11 Lom (správce dat), za účelem předání dotazu z tohoto formuláře Vámi vybranému inzerentovi a zpětného kontaktování mé osoby. Osobní údaje bude správce zpracovávat manuálně i automaticky přímo prostřednictvím svých zaměstnanců. Informace předané tímto formulářem budou uloženy v databázi správce maximálně po dobu 10 let. Odvolání souhlasu s uložením a zpracováním poskytnutých dat lze e-mailem na info@vitio.cz. V případě podezření na neoprávněné použití Vámi poskytnutých údajů máte právo předat podnět k šetření Úřadu pro ochranu osobních údajů. Více informací
Chystáte se prodat nemovitost?
Pomůžeme Vám!

Inzerát si prohlédlo 19 lidí

Prodejce

Hugo Strachvic

Hugo Strachvic

Hlídací pes

Chcete dostávat emailem podobné nabídky prodeje lesů v Horní Olešnici?

Podobné nemovitosti