Zámecká, Chotoviny
Výkup a prodej starého nábytku
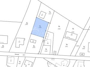
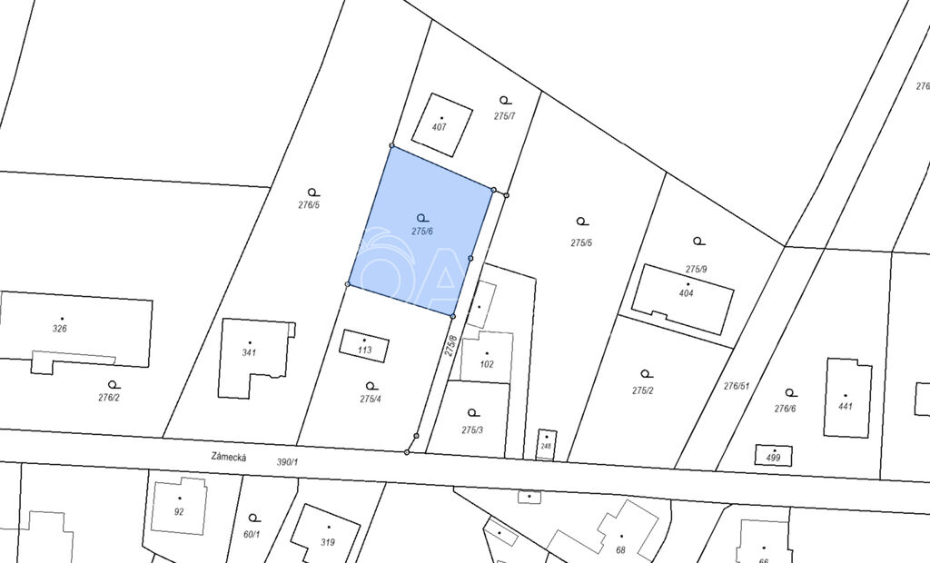
Nabízím k prodeji stavební pozemek o výměře 713m2, nacházející se v klidné a vyhledávané lokalitě obce Chotoviny. Na mírně svažitém pozemku se nachází několik vzrostlých jehličnanů i ovocných stromů, což místu dodává kouzlo a přírodní atmosféru. Pro milovníky přírody a klidu jde o ideální místo pro výstavbu vašeho nového domova.
Součástí prodeje je i spoluvlastnický podíl ½ na pozemku 275/8 o výměře 179m2, který zajišťuje přístup k prodávanému pozemku.
Hlavní výhody:
- ideální pozemek pro výstavbu menšího domu s max. 2 nadzemními podlažím, případně jednopodlažní s obytným podkrovím; zastavitelnost pozemku max. 40%
- inženýrské sítě na hranici pozemku
- příznivá poloha pozemku v klidné části obce
- výbornou dobrou dopravní dostupností - dálnice D3 směrem do Tábora, případně na Prahu; autobusová zastávka jen 250 m
- přímo v Chotovinách se nachází základní i mateřská škola, sportovní hala, fotbalové hřiště, supermarket i obecní úřad
Možnost financování koupě hypotečním úvěrem - v případě zájmu vám rádi pomůžeme s jeho vyřízením.
Pokud hledáte klidné místo k bydlení s výbornou dostupností a veškerým potřebným zázemím, je tento pozemek právě pro vás.
Neváhejte a kontaktujte mě pro více informací nebo prohlídku pozemku.
 
                                        Šafaříkova 201/17, Praha
Máte zájem o tento pozemek?
Inzerát si prohlédlo 4 lidí
 
                                Ing. Jan Novotný
Chcete dostávat emailem podobné nabídky prodeje pozemků pro bydlení v Chotovinách?