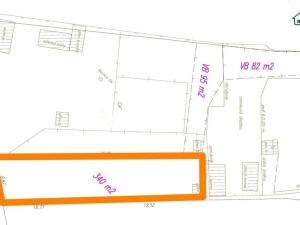
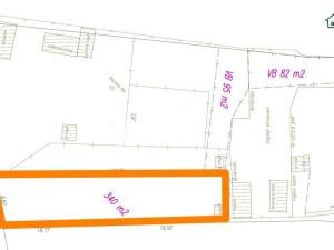
Prodej zahrady, Františkovy Lázně, Americká, 340 m2

Americká, Františkovy Lázně, Horní Lomany

690 Kč /za metr čtvereční HYPOTÉKA od 3 Kč /za měsíc
Exkluzivní partneři v Františkových Lázních

Informace k pozemku

Pozemek 340 m2, obec Frant. Lázně Nabízíme k prodeji pozemek o výměře 340 m2 v obci Frant. Lázně. Jedná se o pozemek k posezení a pěstování rostlin. Bližší info v RK.

Parametry pozemku

Cena
690 Kč /za metr čtvereční Spočítat hypotéku
Aktualizováno
29. 1. 2026
Adresa
Americká, Františkovy Lázně, Horní Lomany
ID
02-01469
Plocha pozemku
340 m2
Doprava
Vlak, Dálnice, MHD, Autobus

Kontaktovat makléře

Máte zájem o tento pozemek?

Tímto, v souladu s nařízením Evropského parlamentu a Rady (EU) 2016/679, v platném znění, prohlašuji, že mi je alespoň 16 let a uděluji tak svůj souhlas se zpracováním zadaných údajů (jméno, telefon, e-mail, ip adresa) společnosti B3 Technology, s.r.o., IČ: 07330600, se sídlem Novostavby 126/23, 435 11 Lom (správce dat), za účelem předání dotazu z tohoto formuláře Vámi vybranému inzerentovi a zpětného kontaktování mé osoby. Osobní údaje bude správce zpracovávat manuálně i automaticky přímo prostřednictvím svých zaměstnanců. Informace předané tímto formulářem budou uloženy v databázi správce maximálně po dobu 10 let. Odvolání souhlasu s uložením a zpracováním poskytnutých dat lze e-mailem na info@vitio.cz. V případě podezření na neoprávněné použití Vámi poskytnutých údajů máte právo předat podnět k šetření Úřadu pro ochranu osobních údajů. Více informací
Chystáte se prodat nemovitost?
Pomůžeme Vám!

Inzerát si prohlédlo 11 lidí

Prodejce

Bc. Monika Veberová

Bc. Monika Veberová

Hlídací pes

Chcete dostávat emailem podobné nabídky prodeje zahrad v Františkových Lázních?

Podobné nemovitosti