Prodej pozemku pro bydlení, Krhov, 812 m2

Krhov

1 380 400 Kč /za nemovitost HYPOTÉKA od 6 170 Kč /za měsíc

(včetně provize, včetně právního servisu)

Exkluzivní partneři v Krhově

Informace k pozemku

V obci Krhov nabízím k prodeji pozemek vhodný k výstavbě rodinného domu.

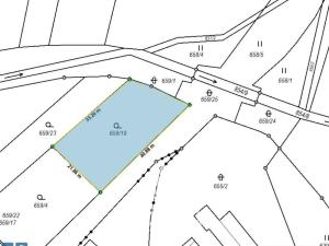
Celková plocha prodávané parcely činí 812 m2. Samotný pozemek je rovinatý a v současné době je využívaný jako zahrada. Pozemek leží v katastrálním území Voděrady u Kunštátu a dle územního plánu patří do ploch smíšených obytných venskovských (plohy smíšené obytné venkovské- SV).

Inženýrské sítě se nachází v blízkosti pozemku.

V Krhově najdete obecní úřad, kulturní dům a před obcí čerpací stanici. Jedná se o bydlení v blízkosti přírody s možností podnikání pěkných výletů a procházek do okolí. Na příklad na Malý Chlum, kde na vrcholku tohoto kopce stojí dřevěná rozhledna. Obcí také prochází značená cyklostezka.

Krhov leží necelých 10 kilometrů od Boskovic a v Brně jste autem za 30 minut.

Zaujala vás nabídka pozemku v Krhově? Tak mi neváhejte zavolat nebo napsat. Jmenuji se Silvie Hynštová a již 19 let se zabývávám prodejem nemovitostí a pokud máte zájem o prohlídku, či více informací, tak se už těším na naše osobní setkání.

Parametry pozemku

Cena
1 380 400 Kč /za nemovitost Spočítat hypotéku
Poznámka k ceně
včetně provize, včetně právního servisu
Aktualizováno
23. 10. 2025
Adresa
Krhov
ID
25010705
Plocha pozemku
812 m2
Komunikace
Asfaltová
Doprava
Silnice, Autobus

Kontaktovat makléře

Máte zájem o tento pozemek?

Tímto, v souladu s nařízením Evropského parlamentu a Rady (EU) 2016/679, v platném znění, prohlašuji, že mi je alespoň 16 let a uděluji tak svůj souhlas se zpracováním zadaných údajů (jméno, telefon, e-mail, ip adresa) společnosti B3 Technology, s.r.o., IČ: 07330600, se sídlem Novostavby 126/23, 435 11 Lom (správce dat), za účelem předání dotazu z tohoto formuláře Vámi vybranému inzerentovi a zpětného kontaktování mé osoby. Osobní údaje bude správce zpracovávat manuálně i automaticky přímo prostřednictvím svých zaměstnanců. Informace předané tímto formulářem budou uloženy v databázi správce maximálně po dobu 10 let. Odvolání souhlasu s uložením a zpracováním poskytnutých dat lze e-mailem na info@vitio.cz. V případě podezření na neoprávněné použití Vámi poskytnutých údajů máte právo předat podnět k šetření Úřadu pro ochranu osobních údajů. Více informací
Chystáte se prodat nemovitost?
Pomůžeme Vám!

Inzerát si prohlédlo 16 lidí

Prodejce

Ing. Silvie Hynštová

Ing. Silvie Hynštová

Hlídací pes

Chcete dostávat emailem podobné nabídky prodeje pozemků pro bydlení v Krhově (okr. Blansko)?

Podobné nemovitosti