Prodej pozemku pro bydlení, Damnice, 2008 m2

Damnice

2 545 200 Kč /za nemovitost HYPOTÉKA od 11 376 Kč /za měsíc

(uvedené cena je včetně provize RK)

Exkluzivní partneři v Damnicích

Informace k pozemku

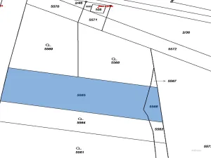
Exkluzivně nabízíme k prodeji krásný, rovinatý stavební pozemek o výměře 2008 m² pro výstavbu rodinného domu v klidné částI obce Damnice nedaleko Miroslavi.
Pozemek má praktický, obdélníkový tvar s uliční šíři 26m. Příjezd je po asfaltové komunikaci. Inženýrské sítě (voda, elektřina, kanalizace) jsou v dosahu přibližně 40 metrů. Díky klidné poloze a dobré dostupnosti je ideální pro výstavbu rodinného domu či rekreačního bydlení.
Obec Damnice jsou menší, krásná obec s přátelskou atmosférou, nacházející se asi 5 minut od Miroslavi a 35 minut od Brna.
V obci najdete mateřskou školu, obchod, poštu, knihovnu i restauraci. Obec žije aktivním kulturním životem, má sportovní hřiště, dětská hřiště a cyklostezky, které vedou okolní vinicemi a přírodou jihomoravského kraje.

Parametry pozemku

Cena
2 545 200 Kč /za nemovitost Spočítat hypotéku
Poznámka k ceně
uvedené cena je včetně provize RK
Aktualizováno
11. 1. 2026
Adresa
Damnice
ID
11695
Lokalita objektu
Klidná část obce
Plocha pozemku
2008 m2
Komunikace
Asfaltová
Voda
Vodovod
Převod do OV

Kontaktovat makléře

Máte zájem o tento pozemek?

Tímto, v souladu s nařízením Evropského parlamentu a Rady (EU) 2016/679, v platném znění, prohlašuji, že mi je alespoň 16 let a uděluji tak svůj souhlas se zpracováním zadaných údajů (jméno, telefon, e-mail, ip adresa) společnosti B3 Technology, s.r.o., IČ: 07330600, se sídlem Novostavby 126/23, 435 11 Lom (správce dat), za účelem předání dotazu z tohoto formuláře Vámi vybranému inzerentovi a zpětného kontaktování mé osoby. Osobní údaje bude správce zpracovávat manuálně i automaticky přímo prostřednictvím svých zaměstnanců. Informace předané tímto formulářem budou uloženy v databázi správce maximálně po dobu 10 let. Odvolání souhlasu s uložením a zpracováním poskytnutých dat lze e-mailem na info@vitio.cz. V případě podezření na neoprávněné použití Vámi poskytnutých údajů máte právo předat podnět k šetření Úřadu pro ochranu osobních údajů. Více informací
Chystáte se prodat nemovitost?
Pomůžeme Vám!

Inzerát si prohlédlo 7 lidí

Prodejce

Ing. Kristýna Šnajdrová

Ing. Kristýna Šnajdrová

Hlídací pes

Chcete dostávat emailem podobné nabídky prodeje pozemků pro bydlení v Damnicích?

Podobné nemovitosti