Prodej pozemku pro bydlení, Buchlovice, 1515 m2

Buchlovice

1 100 Kč /za metr čtvereční HYPOTÉKA od 5 Kč /za měsíc

(včetně provize a právního servisu)

Exkluzivní partneři v Buchlovicích

Informace k pozemku

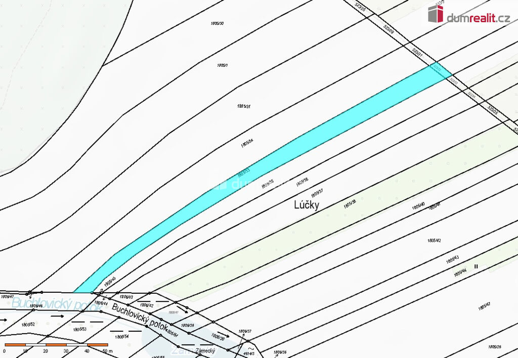
Pozemek k prodeji v obci Buchlovice.

Rádi Vám nabízíme ke koupi pozemek v klidné části obce Buchlovice. Pozemek má celkovou výměru 1515 m² (s uliční šíří cca 9,5 m) a je v platném Územním plánu obce vedený pro individuální bydlení. Obec tuto lokalitu určila pro budoucí výstavbu rodinných domů. V současné době nemá pozemek přípojku IS ani přístupovou komunikaci. V budoucím plánu je i odprodej části pozemku obci, která vybuduje zmíněnou komunikaci včetně přípojek IS. Z toho plyne, že v současné době nelze pozemek zastavět a je třeba vyčkat na další kooperaci s obcí (toto je zohledněno v prodejní ceně).

Pozemek se nachází v klidné lokalitě mezi fotbalovým hřištěm a zámeckou zahradou. Buchlovice je městys s plnou občanskou vybaveností a dobrou dopravní dostupností.

Pokud budete mít zájem o více informací, popř. prohlídku pozemku, ozvěte se realitnímu makléři. Ev. číslo: 652770.

Parametry pozemku

Cena
1 100 Kč /za metr čtvereční Spočítat hypotéku
Poznámka k ceně
včetně provize a právního servisu
Aktualizováno
14. 10. 2025
Adresa
Buchlovice
ID
653384
Plocha pozemku
1515 m2

Kontaktovat makléře

Máte zájem o tento pozemek?

Tímto, v souladu s nařízením Evropského parlamentu a Rady (EU) 2016/679, v platném znění, prohlašuji, že mi je alespoň 16 let a uděluji tak svůj souhlas se zpracováním zadaných údajů (jméno, telefon, e-mail, ip adresa) společnosti B3 Technology, s.r.o., IČ: 07330600, se sídlem Novostavby 126/23, 435 11 Lom (správce dat), za účelem předání dotazu z tohoto formuláře Vámi vybranému inzerentovi a zpětného kontaktování mé osoby. Osobní údaje bude správce zpracovávat manuálně i automaticky přímo prostřednictvím svých zaměstnanců. Informace předané tímto formulářem budou uloženy v databázi správce maximálně po dobu 10 let. Odvolání souhlasu s uložením a zpracováním poskytnutých dat lze e-mailem na info@vitio.cz. V případě podezření na neoprávněné použití Vámi poskytnutých údajů máte právo předat podnět k šetření Úřadu pro ochranu osobních údajů. Více informací
Chystáte se prodat nemovitost?
Pomůžeme Vám!

Inzerát si prohlédlo 17 lidí

Prodejce

Petr Psotka

Petr Psotka

Hlídací pes

Chcete dostávat emailem podobné nabídky prodeje pozemků pro bydlení v Buchlovicích?

Podobné nemovitosti