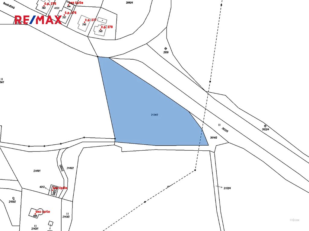
Prodej pozemku pro bydlení, Planá, 3965 m2

Planá

5 990 000 Kč /za nemovitost HYPOTÉKA od 26 772 Kč /za měsíc

(obsahuje veškerý právní, finanční i realitní servis spojený s prodejem)

Exkluzivní partneři v Plané

Podlahy

Stěhovací služby

Informace k pozemku

Nabízíme v exkluzivním zastoupení stavební pozemek o rozloze 3965 m2.

- nachází se v ulici Bezdružická na okraji města Planá v lokalitě Bohušův vrch (15 minut pěší chůze z náměstí) .
- nabízí krásný výhled na samotné město Planá.
- rovinatý mírně svažující terén, v současné době obsahuje náletové dřeviny
- veden v územním plánu jako stavební s možností výstavby rodinných domů
- příjezd po obecní komunikaci přímo k pozemku
- souhlas Policie ČR se sjezdem na pozemek ( příjezdová cesta)
- město Planá se nachází v Plzeňském kraji 15 km od Mariánských Lázní.
- město planá nabízí veškerou občanskou vybavenost ( poliklinika, mateřská škola, základní škola, střední odborná škola,
základní umělecká škola, pošta, pobočky dvou bank, pojišťovny, veřejná knihovna, dva domy s pečovatelskou službou, galerie
výtvarného umění, kino, 2 fotbalová hřiště, lehkoatletický stadion, tenisové kurty, koupaliště, kynologické cvičiště, hornické
muzeum)

Parametry pozemku

Cena
5 990 000 Kč /za nemovitost Spočítat hypotéku
Poznámka k ceně
obsahuje veškerý právní, finanční i realitní servis spojený s prodejem
Aktualizováno
23. 9. 2025
Adresa
Planá
ID
0020-NP06760
Lokalita objektu
Okraj obce
Plocha pozemku
3965 m2

Kontaktovat makléře

Realitní kancelář

RE/MAX G8 Reality

Rohanské nábřeží 678/27, Praha

Chystáte se prodat nemovitost?
Pomůžeme Vám!

Máte zájem o tento pozemek?

Tímto, v souladu s nařízením Evropského parlamentu a Rady (EU) 2016/679, v platném znění, prohlašuji, že mi je alespoň 16 let a uděluji tak svůj souhlas se zpracováním zadaných údajů (jméno, telefon, e-mail, ip adresa) společnosti B3 Technology, s.r.o., IČ: 07330600, se sídlem Novostavby 126/23, 435 11 Lom (správce dat), za účelem předání dotazu z tohoto formuláře Vámi vybranému inzerentovi a zpětného kontaktování mé osoby. Osobní údaje bude správce zpracovávat manuálně i automaticky přímo prostřednictvím svých zaměstnanců. Informace předané tímto formulářem budou uloženy v databázi správce maximálně po dobu 10 let. Odvolání souhlasu s uložením a zpracováním poskytnutých dat lze e-mailem na info@vitio.cz. V případě podezření na neoprávněné použití Vámi poskytnutých údajů máte právo předat podnět k šetření Úřadu pro ochranu osobních údajů. Více informací
Chystáte se prodat nemovitost?
Pomůžeme Vám!

Inzerát si prohlédlo 2 lidí

Prodejce

Martin Duchek

Martin Duchek

Hlídací pes

Chcete dostávat emailem podobné nabídky prodeje pozemků pro bydlení v Plané (okr. Tachov)?

Podobné nemovitosti