Prodej pozemku pro bydlení, Bukovany, 760 m2 (ID: 2300095)

Bukovany

Rezervováno
2 150 000 Kč /za nemovitost HYPOTÉKA od 9 609 Kč /za měsíc
Exkluzivní partneři v Bukovanech

Pojištění a finance

Informace k pozemku

Stavební pozemek je vhodnou investicí.

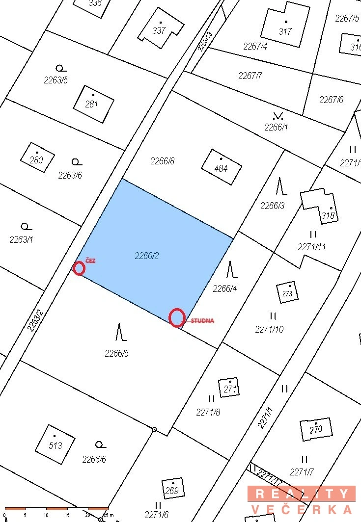
Nabízíme k prodeji stavební pozemek v katastru obce Bukovany u Týnce nad Sázavou, výměra 760 m2.

Pozemek je určený k výstavbě domu pro rodinnou rekreaci s označením číslem evidenčním, to znamená, že v domě se lze přihlásit k trvalému pobytu.

Podmínky prostorového uspořádání budoucí nemovitosti na pozemku:
-koeficient zastavění pozemku: max.15% z výměry pozemku, to je 114 m2, přitom ale půdorysná plocha objektů nepřesáhne 100 m2,
- maximální výškové parametry zástavby: max. 1 nadzemní podlaží a obytné podkroví, současně max. výška 7 m,
- minimální velikost stavebního pozemku 550 m,
-koeficient zeleně: min. 75%,
- na pozemku je vrt studny, elektřina,

Pozemek se nachází v zalesněné krajině, je zde cca 20 chat. Územní plán nepředpokládá další zástavbu (parcelaci) této oblasti. Příjezd je po zpevněné komunikaci.

Týnec nad Sázavou je vzdálený 4 minuty jízdy autem, Poříčí nad Sázavou 12 minut (nájezd na rychlostní silnici E55 a po ní na D1).

Koupě pozemku a postavení domu vám umožní žít v přírodě. Jde i o vhodnou investici.

S hypotékou vám zdarma pomůžeme. Koupi lze financovat hypotékou s ručením tímto pozemkem. Další informace získáte u makléře.

Parametry pozemku

Stav
Rezervováno
Cena
2 150 000 Kč /za nemovitost Spočítat hypotéku
Aktualizováno
26. 3. 2026
Adresa
Bukovany
ID
000131
Plocha pozemku
760 m2
Doprava
Silnice, Autobus
Voda
Studna

Kontaktovat makléře

Máte zájem o tento pozemek?

Tímto, v souladu s nařízením Evropského parlamentu a Rady (EU) 2016/679, v platném znění, prohlašuji, že mi je alespoň 16 let a uděluji tak svůj souhlas se zpracováním zadaných údajů (jméno, telefon, e-mail, ip adresa) společnosti B3 Technology, s.r.o., IČ: 07330600, se sídlem Novostavby 126/23, 435 11 Lom (správce dat), za účelem předání dotazu z tohoto formuláře Vámi vybranému inzerentovi a zpětného kontaktování mé osoby. Osobní údaje bude správce zpracovávat manuálně i automaticky přímo prostřednictvím svých zaměstnanců. Informace předané tímto formulářem budou uloženy v databázi správce maximálně po dobu 10 let. Odvolání souhlasu s uložením a zpracováním poskytnutých dat lze e-mailem na info@vitio.cz. V případě podezření na neoprávněné použití Vámi poskytnutých údajů máte právo předat podnět k šetření Úřadu pro ochranu osobních údajů. Více informací
Chystáte se prodat nemovitost?
Pomůžeme Vám!
Theleadway banner

Inzerát si prohlédlo 16 lidí

Prodejce

Miloslav Večerka

Miloslav Večerka

Hlídací pes

Chcete dostávat emailem podobné nabídky prodeje pozemků pro bydlení v Bukovanech (okr. Benešov)?

Podobné nemovitosti